Terrain 3289m² à menneval

— Menneval 27300 —
171 500 €
3 289 m²

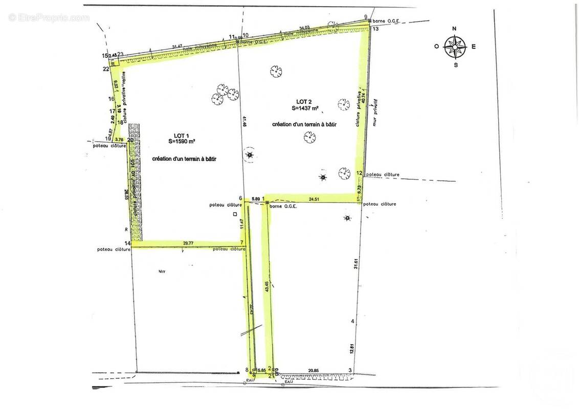
Terrain à bâtir d'une superficie de 3289 m², le CU a à été validé . Au cœur du quartier le plus prisé de MENNEVAL ( 27300 ) au calme sans vis-à-vis et à l'abri des regards. Situé à moins de 10 minutes à pied des commerces et école maternelle et primaire. Le tout à l'égout et au bord du terrain. Pour toute information contacter votre agent commercial Century 21 Thierry DAGUZAN Au [Coordonnées masquées]. Nous vous rappelons que suite à l'article l.561-5 du code monétaire et financier, la copie de la pièce d'identité de tous les visiteurs vous sera demandée avant la visite.Century21 Soluce Habitat, c'est l'agence immobilière de Bernay (27300) qui vous permet de réaliser vos projets d'achat, d'investissement (maisons, appartements,), de vente, de location, de gestion locative en Normandie. Nous sommes situés à 1h25 de la gare Paris Saint Lazare avec plusieurs trains par jour. Profitez du calme de la campagne avec la proximité de la capitale.Nos estimations gratuites s'appuient sur une Analyse Comparative de Marché qui permet d'estimer le logement avec l'accompagnement de notre équipe de professionnels régulièrement formés.Située au cœur de la Normandie, au carrefour entre Rouen, Caen et Le Havre, Bernay possède tous les attraits d'une ville de charme et de loisirs. Elle est le centre de ce territoire rural (25 000 habitants) et figure parmi les mieux conservées de la Région (ville d'art et d'histoire). Sous-préfecture de l'Eure, Bernay bénéficie également d'une situation géographique privilégiée. Elle est desservie par un réseau routier (RD 438, RD 613 et A28) et ferroviaire (gare SNCF PARIS St Lazare en 1h20, Caen et Rouen).
Voir plus

Référence: 5256
Barème des honoraires

Prêt immobilier

Vous souhaitez connaître votre capacité d’emprunt et trouver le meilleur crédit immobilier ?
Réaliser une simulation gratuite

Terrain à MENNEVAL
Terrain à MENNEVAL
Terrain à MENNEVAL
Ce site est protégé par reCAPTCHA la Politique de confidentialité et les Conditions d’utilisation de Google s’appliquent.
Obtenir un prêt immobilier au meilleur taux ?

En poursuivant votre navigation sans modifier vos paramètres, vous acceptez l'utilisation de cookies susceptibles de réaliser des statistiques de visite. Cliquez ici pour plus d'informations