Bénéficiez des services de nos partenaires locaux soigneusement sélectionnés
pour vous accompagner dans votre parcours d'achat immobilier

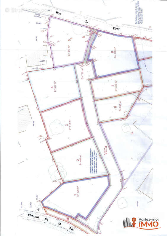
Terrain 317m² à amberieu-en-bugey

— Amberieu-En-Bugey 01500 —
89 000 €
317 m²

Nos partenaires locaux
Ambérieu-en-bugey. 79 000€. Parlez-moi d'immo Lyon vous propose ce terrain viabilisé de 317 m² avec vue dégagée sur le Bugey et la Dombe.
Situé en plein coeur du quartier Tiret d'Ambérieu-en-bugey, vous profiterez d'un accès privilégié aux commodités, aux écoles, restaurants et boulangeries. Le terrain fait partie d'un lotissement de 8 terrains.
Mentions légales: Les informations sur les risques auxquels les biens sont exposés sont disponibles sur le site Géorisques: www.georisques.gouv.fr, les honoraires sont à la charge du vendeur, notre barème est consultable sur notre site, les diagnostics ont été réalisés le 01/01/2025, hors DPE, hors GES, Montant estimé des dépenses annuelles d'énergie pour un usage standard entre € et €, Prix moyens des énergies indexés (abonnement compris) à la date du 00/01/1900, le bien n'est pas soumis au régime de copropriété . Pour toutes informations complémentaires Parlez-Moi d'Immo Lyon vous propose de contacter Lancelot SEILLER votre conseiller immobilier Indépendant (R.S.A.C. de BOURG-EN-BRESSE N° 938599727) spécialisé sur le secteur de Ambérieu-en-bugey au [Coordonnées masquées]

Honoraires à la charge du vendeur. Les informations sur les risques auxquels ce bien est exposé sont disponibles sur le site Géorisques : georisques.gouv.fr.

Votre conseiller PARLEZ-MOI D'IMMO Lyon : Lancelot SEILLER
Agent commercial (Entreprise individuelle)
RSAC 938 599 727
Voir plus

Référence: 6900058-PARLEZMOIDIMMO69200
Honoraires à la charge du vendeur.
Barème des honoraires

Prêt immobilier

Vous souhaitez connaître votre capacité d’emprunt et trouver le meilleur crédit immobilier ?
Réaliser une simulation gratuite

Terrain à AMBERIEU-EN-BUGEY
Terrain à AMBERIEU-EN-BUGEY
Terrain à AMBERIEU-EN-BUGEY
Terrain à AMBERIEU-EN-BUGEY
Terrain à AMBERIEU-EN-BUGEY
Terrain à AMBERIEU-EN-BUGEY
Ce site est protégé par reCAPTCHA la Politique de confidentialité et les Conditions d’utilisation de Google s’appliquent.
Obtenir un prêt immobilier au meilleur taux ?

En poursuivant votre navigation sans modifier vos paramètres, vous acceptez l'utilisation de cookies susceptibles de réaliser des statistiques de visite. Cliquez ici pour plus d'informations