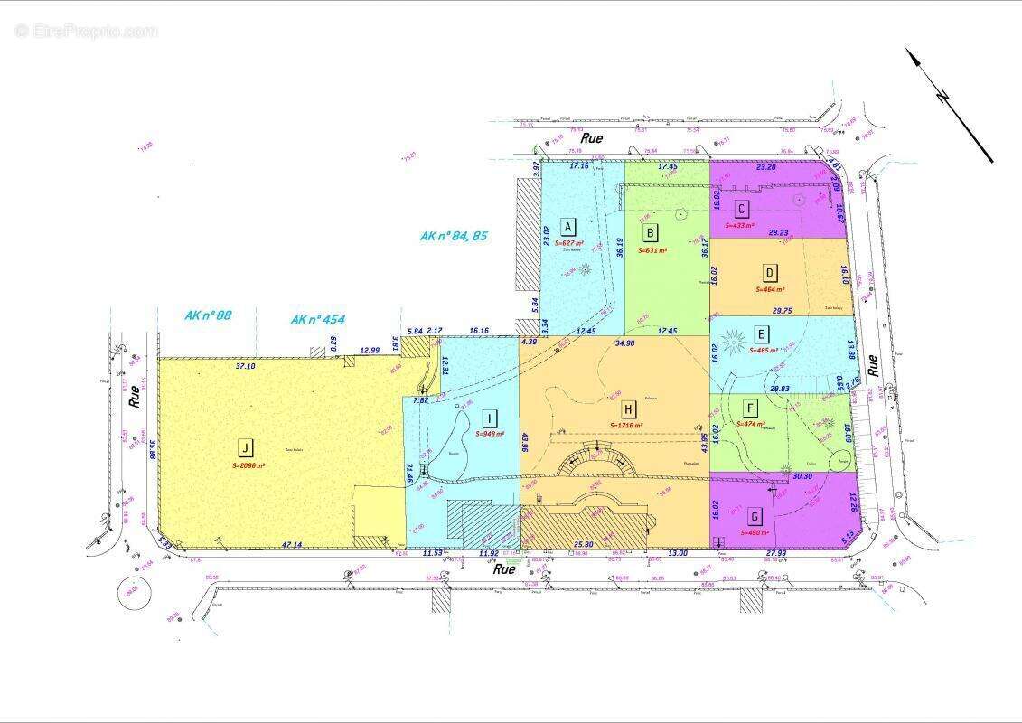
Franconville (95) - terrain à bâtir - 631m²

— Franconville 95130 —
229 000 €
631 m²

À vendre – Rare terrain de 631 m² à Franconville-la-Garenne, avec façade de plus de 17 m

En zone UI et hors périmètre des Bâtiments de France, ce terrain dispose d'un certificat d'urbanisme opérationnel, prêt pour votre projet résidentiel sur-mesure.

Règles d'implantation et construction :

Implantation en retrait minimum de 5 m par rapport à l'alignement

Possibilité de s'implanter sur une limite ou en retrait (4 m si la façade vis-à-vis de la limite séparative ne comporte aucune ouverture créant des vues)

Hauteur maximale : 8 m au faîtage

Atouts : proximité immédiate des écoles, commerces, transports et axes routiers, dans un environnement agréable
Une opportunité rare dans Franconville.

Contact : Anne-Charlotte au [Coordonnées masquées]

Le plan de géomètre est téléchargeable sur notre site.
Certificat d'urbanisme opérationnel et etude de sol G1 disponible sur demande.

Un ERRIAL (Etat des Risques Réglementés pour l'Information des Acquéreurs et des Locataires) et les informations sur les risques auxquels ce bien est exposé, sont disponibles sur le site Géorisques : www. georisques. gouv. fr ou transmis sur demande
Voir plus

Référence: 2770
Honoraires à la charge du vendeur.

Prêt immobilier

Vous souhaitez connaître votre capacité d’emprunt et trouver le meilleur crédit immobilier ?
Réaliser une simulation gratuite

Terrain à FRANCONVILLE
Terrain à FRANCONVILLE
Terrain à FRANCONVILLE
Terrain à FRANCONVILLE
Ce site est protégé par reCAPTCHA la Politique de confidentialité et les Conditions d’utilisation de Google s’appliquent.
Obtenir un prêt immobilier au meilleur taux ?

En poursuivant votre navigation sans modifier vos paramètres, vous acceptez l'utilisation de cookies susceptibles de réaliser des statistiques de visite. Cliquez ici pour plus d'informations