Bénéficiez des services de nos partenaires locaux soigneusement sélectionnés
pour vous accompagner dans votre parcours d'achat immobilier

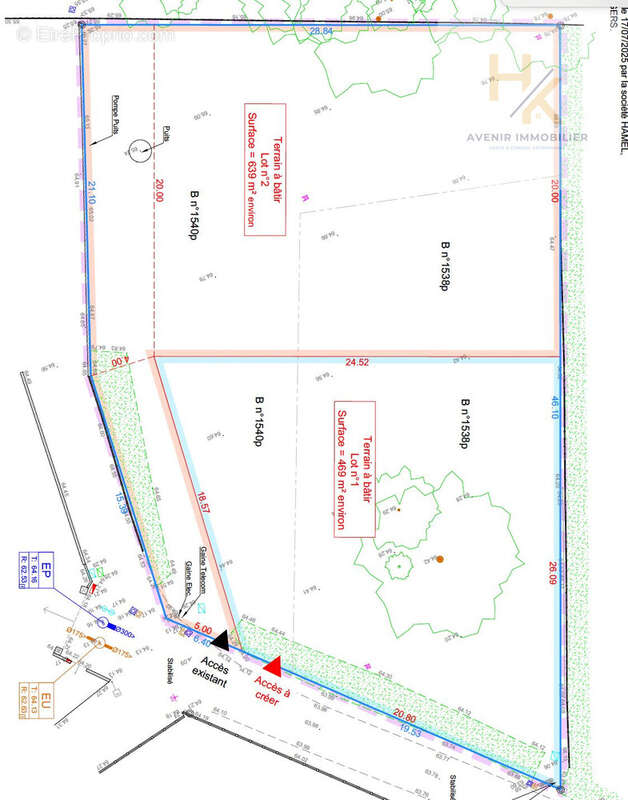
Terrain 640m² à saint-lambert-la-potherie

— Saint-Lambert-La-Potherie 49070 —
153 400 €
640 m²

Nos partenaires locaux
Terrain constructible à vendre – 640 m² – Saint-Lambert-la-Potherie (49)

Hors lotissement – Proche bourg – Environnement calme

Situé à proximité immédiate du centre-bourg de Saint-Lambert-la-Potherie, ce terrain constructible de 640 m² est une belle opportunité pour un projet de construction au calme, hors lotissement et hors ZAC.

Implanté en forme de drapeau, il bénéficie d'un accès en retrait de la rue, offrant ainsi discrétion et intimité, idéal pour une maison familiale avec jardin.

Caractéristiques :

Superficie totale : 640 m²

Terrain plat, issu d'une division parcellaire – Premier lot déjà vendu

Puits existant profond de 6 mètres avec un débit de 9m3/heure permettant d'alimenter la maison.

Raccordements à proximité immédiate : réseaux d'eaux usées (EU), eaux pluviales (EP), électricité et télécom déjà en attente au pied du terrain

Il suffira de tirer les gaines jusqu'à la construction pour viabiliser la parcelle

Environnement calme, proche des écoles, commerces, services et axes rapides vers Angers

Ce terrain réunit les atouts d'un emplacement pratique, dans une commune dynamique à l'ouest d'Angers, tout en offrant un cadre préservé, à l'abri des contraintes de lotissement.

Pour toute question sur la constructibilité, le raccordement ou le projet, contactez HK Avenir Immobilier.

Honoraires inclus de 6.53% TTC à la charge de l'acquéreur. Prix hors honoraires 144 000 €. Les informations sur les risques auxquels ce bien est exposé sont disponibles sur le site Géorisques : georisques.gouv.fr.

Votre conseiller HK Avenir immobilier : Gérant - Olivier Hameidat
Carte T CPI49[Coordonnées masquées]00007
RCP 941541807
Voir plus

Référence: VT061-HAMEIDAT
Honoraires d'agence de 6.53% à la charge de l'acquéreur
Barème des honoraires

Prêt immobilier

Vous souhaitez connaître votre capacité d’emprunt et trouver le meilleur crédit immobilier ?
Réaliser une simulation gratuite

Terrain à SAINT-LAMBERT-LA-POTHERIE
Terrain à SAINT-LAMBERT-LA-POTHERIE
Terrain à SAINT-LAMBERT-LA-POTHERIE
Ce site est protégé par reCAPTCHA la Politique de confidentialité et les Conditions d’utilisation de Google s’appliquent.
Obtenir un prêt immobilier au meilleur taux ?

En poursuivant votre navigation sans modifier vos paramètres, vous acceptez l'utilisation de cookies susceptibles de réaliser des statistiques de visite. Cliquez ici pour plus d'informations