Terrain 2900m² à saint-aignan-grandlieu

— Saint-Aignan-Grandlieu 44860 —
477 000 €
2 900 m²

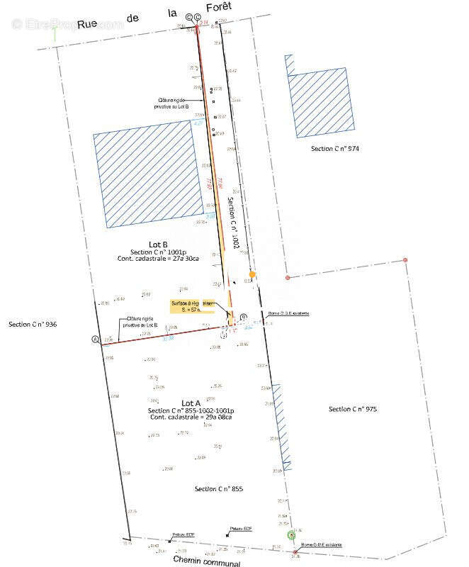
Ce terrain à bâtir, d'une superficie totale de 2900 m², est actuellement libre de tout constructeur, offrant ainsi une grande flexibilité pour vos projets de construction. Il est entièrement clos par un grillage. Un tabouret de tout-à-l'égout est déjà installé de la voirie et le long du chemin d'accès, facilitant les futurs raccordements nécessaires.
L'accès au terrain est assuré par un chemin empierré de 470 m², garantissant une bonne accessibilité pour les travaux de construction. La surface à bâtir spécifique mesure 42 mètres de large sur 58 mètres de profondeur, offrant un espace généreux pour la construction de votre future entreprise.
Le terrain est disponible immédiatement, et il est possible d'envisager une division pour créer 2 lots, selon vos besoins et projets. Le prix de vente est fixé à 450 000 € net vendeur, auxquels s'ajoutent 27 000 € HT de frais d'agence , ainsi que les frais de notaire qui seront à prévoir en sus. Pour obtenir plus de détails ou organiser une visite, vous pouvez contacter directement Leila MELLIER au [Coordonnées masquées]. Vous avez également la possibilité de joindre notre cabinet au [Coordonnées masquées] pour toute information complémentaire ou pour discuter des modalités de visite et d'achat.

Honoraires inclus de 7.29% TTC à la charge de l'acquéreur. Prix hors honoraires 444 600 €. Les informations sur les risques auxquels ce bien est exposé sont disponibles sur le site Géorisques : georisques.gouv.fr.
.
LOCAUX-BUREAUX-COMMERCES [Coordonnées masquées]
Voir plus

Référence: LMV0001A-LBC44
Honoraires d'agence de 7.29% à la charge de l'acquéreur
Barème des honoraires

Prêt immobilier

Vous souhaitez connaître votre capacité d’emprunt et trouver le meilleur crédit immobilier ?
Réaliser une simulation gratuite

Terrain à SAINT-AIGNAN-GRANDLIEU
Terrain à SAINT-AIGNAN-GRANDLIEU
Terrain à SAINT-AIGNAN-GRANDLIEU
Terrain à SAINT-AIGNAN-GRANDLIEU
Terrain à SAINT-AIGNAN-GRANDLIEU
Terrain à SAINT-AIGNAN-GRANDLIEU
Terrain à SAINT-AIGNAN-GRANDLIEU
Ce site est protégé par reCAPTCHA la Politique de confidentialité et les Conditions d’utilisation de Google s’appliquent.
Obtenir un prêt immobilier au meilleur taux ?

En poursuivant votre navigation sans modifier vos paramètres, vous acceptez l'utilisation de cookies susceptibles de réaliser des statistiques de visite. Cliquez ici pour plus d'informations