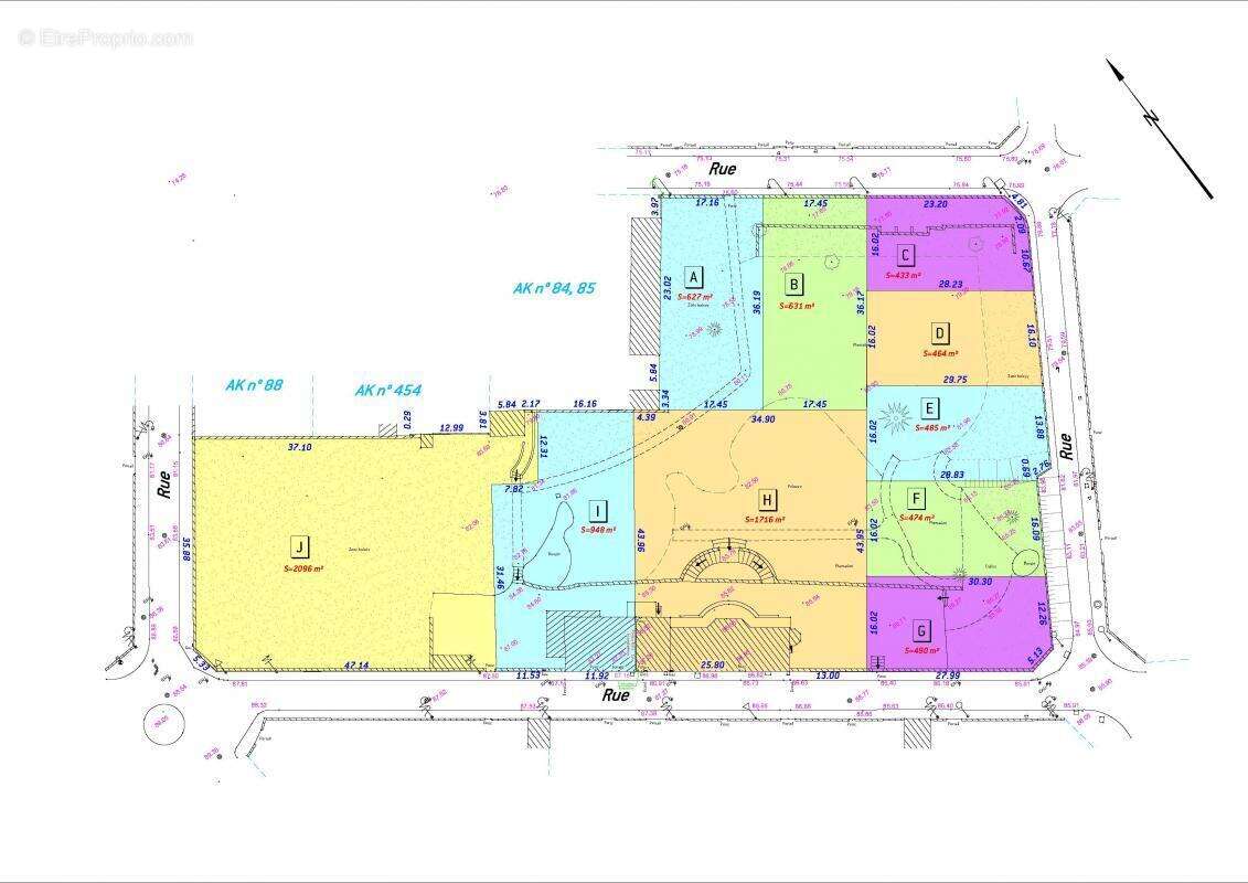
Franconville (95) - terrain à bâtir - 464m²

— Franconville 95130 —
189 000 €
464 m²

À vendre – Terrain de 464 m² à Franconville-la-Garenne, avec une façade sur rue d'environ 16 m

Situé en zone UI du PLU actuellement en vigueur sur la commune et hors du périmètre des Bâtiments de France, ce terrain dispose d'un certificat d'urbanisme opérationnel et d'une étude G1, fournis sur demande, alors prêt pour votre projet résidentiel sur-mesure ?

Règles d'implantation et construction :
* Implantation en retrait minimum de 5 m par rapport à l'alignement
* Possibilité de s'implanter sur une limite ou en retrait (4 m si la façade vis-à-vis de la limite séparative ne comporte aucune ouverture créant des vues)
* Hauteur maximale : 8 m au faîtage

Atouts : proximité immédiate des écoles, commerces, transports et axes routiers, dans un environnement agréable
Une opportunité rare dans Franconville.

Pour plus de précisions et organiser une visite, contactez Anne-Charlotte au [Coordonnées masquées].

Le plan de géomètre est téléchargeable sur notre site.

Un ERRIAL (Etat des Risques Réglementés pour l'Information des Acquéreurs et des Locataires) et les informations sur les risques auxquels ce bien est exposé, sont disponibles sur le site Géorisques : www. georisques. gouv. fr ou transmis sur demande
Voir plus

Référence: 2825
Honoraires à la charge du vendeur.

Prêt immobilier

Vous souhaitez connaître votre capacité d’emprunt et trouver le meilleur crédit immobilier ?
Réaliser une simulation gratuite

Terrain à FRANCONVILLE
Terrain à FRANCONVILLE
Terrain à FRANCONVILLE
Terrain à FRANCONVILLE
Ce site est protégé par reCAPTCHA la Politique de confidentialité et les Conditions d’utilisation de Google s’appliquent.
Obtenir un prêt immobilier au meilleur taux ?

En poursuivant votre navigation sans modifier vos paramètres, vous acceptez l'utilisation de cookies susceptibles de réaliser des statistiques de visite. Cliquez ici pour plus d'informations