Franconville - centre-ville

— Franconville 95130 —
229 000 €
631 m²
jardin

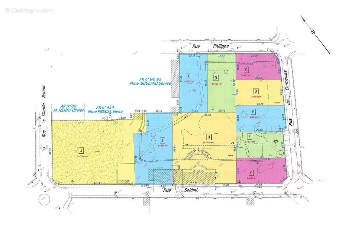
Au sein du quartier recherché de l'Hôtel de Ville à Franconville-la-Garenne, nous avons le plaisir de vous proposer 2 terrains de 627 m² et 631 m², qui bénéficient d'un emplacement privilégié au sein d'un environnement pavillonnaire calme et agréable. Avec des façades de 17 mètres et situé en zone UI, ils offrent de nombreuses possibilités pour la réalisation d'un projet résidentiel. Libre de constructeur, vous êtes totalement libre de choisir l'architecte ou le constructeur de votre choix pour concevoir la maison qui vous ressemble. Les terrains profitent d'une excellente situation, à proximité immédiate des écoles, commerces, transports en commun et des principaux axes routiers. UNE BELLE OPPORTUNITE !! Un ERRIAL (Etat des Risques Réglementés pour l'Information des Acquéreurs et des Locataires) et les informations sur les risques auxquels ces biens sont exposés, sont disponibles sur le site Géorisques : www. georisques.gouv.fr. Non soumis au DPE. Pour plus de renseignements, contactez Grégory RIBEIRO, agent commercial immatriculé 984853960 Pontoise.
Voir plus

Référence: 1100
Honoraires à la charge du vendeur.

Prêt immobilier

Vous souhaitez connaître votre capacité d’emprunt et trouver le meilleur crédit immobilier ?
Réaliser une simulation gratuite

Terrain à FRANCONVILLE
Terrain à FRANCONVILLE
Ce site est protégé par reCAPTCHA la Politique de confidentialité et les Conditions d’utilisation de Google s’appliquent.
Obtenir un prêt immobilier au meilleur taux ?

En poursuivant votre navigation sans modifier vos paramètres, vous acceptez l'utilisation de cookies susceptibles de réaliser des statistiques de visite. Cliquez ici pour plus d'informations