Bénéficiez des services de nos partenaires locaux soigneusement sélectionnés
pour vous accompagner dans votre parcours d'achat immobilier

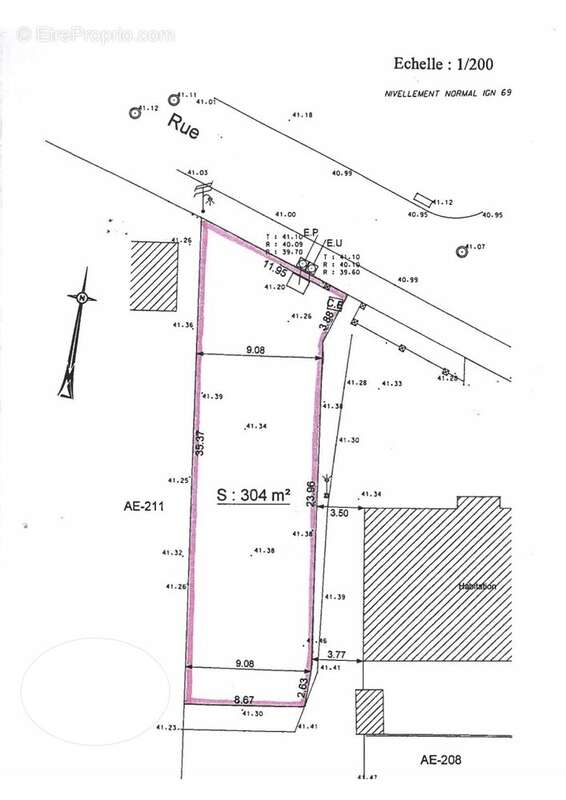
Terrain 304m² à lagny-sur-marne

— Lagny-Sur-Marne 77400 —
190 000 €
304 m²

Nos partenaires locaux
EXCLUSIVITÉ !
A deux pas du centre ville, des commerces, écoles et transports, beau TERRAIN à BATIR de 304m2, en 1ère position.
Viabilisation sur rue (viabilisation des EU et EP effectuée).
Façade de 9m.
Zone UBa2 du PLU (anciennement zone UGb).
Zone 'bleu clair' du PPRI.
Un exemple de maison est fourni par l'un de nos partenaires, les Maisons Lelièvre.

Honoraires à la charge du vendeur. Les informations sur les risques auxquels ce bien est exposé sont disponibles sur le site Géorisques : georisques.gouv.fr.

Votre conseiller AVANZINI Immobilier : Rui GONCALVES
Agent commercial (Entreprise individuelle)
RSAC 2019AC00483
Voir plus

Référence: 1595-AVANZINI
Honoraires à la charge du vendeur.
Barème des honoraires

Prêt immobilier

Vous souhaitez connaître votre capacité d’emprunt et trouver le meilleur crédit immobilier ?
Réaliser une simulation gratuite

Terrain à LAGNY-SUR-MARNE
Terrain à LAGNY-SUR-MARNE
Terrain à LAGNY-SUR-MARNE
Terrain à LAGNY-SUR-MARNE
Terrain à LAGNY-SUR-MARNE
Terrain à LAGNY-SUR-MARNE
Ce site est protégé par reCAPTCHA la Politique de confidentialité et les Conditions d’utilisation de Google s’appliquent.
Obtenir un prêt immobilier au meilleur taux ?

En poursuivant votre navigation sans modifier vos paramètres, vous acceptez l'utilisation de cookies susceptibles de réaliser des statistiques de visite. Cliquez ici pour plus d'informations