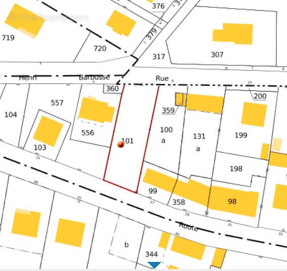
Terrain constructible à gueugnon

— Gueugnon 71130 —
17 500 €
618 m²
jardin

Gueugnon, jolie parcelle de terrain de 618 m2 constructible avec deux entrées. Viabilités en bordure de propriété. Tout à l'égout.

Honoraires d'agence de 16.67% à la charge de l'acquéreur
Barème des honoraires

Prêt immobilier

Vous souhaitez connaître votre capacité d’emprunt et trouver le meilleur crédit immobilier ?
Réaliser une simulation gratuite

Ce site est protégé par reCAPTCHA la Politique de confidentialité et les Conditions d’utilisation de Google s’appliquent.
Obtenir un prêt immobilier au meilleur taux ?

En poursuivant votre navigation sans modifier vos paramètres, vous acceptez l'utilisation de cookies susceptibles de réaliser des statistiques de visite. Cliquez ici pour plus d'informations