Terrain 874m² à mereville

— Mereville 91660 —
75 000 €
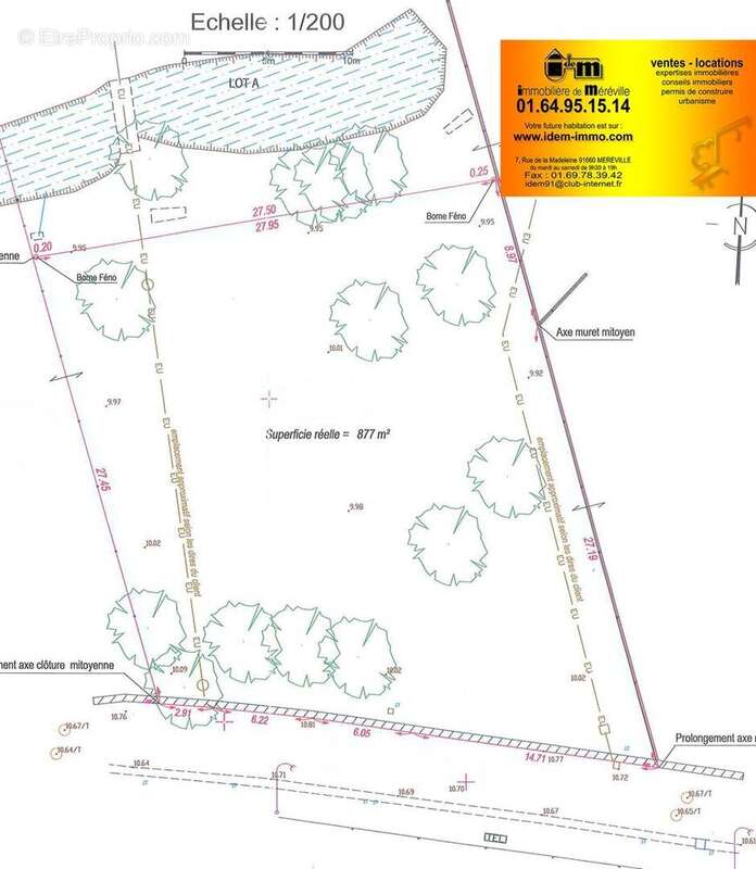
874 m²

centre ville de mereville à 400/600ml des commerces et écoles (prim-mat-col).
 quartier et environnement très calme dans une impasse.
terrain à bâtir d'une contenance de 874 m² avec 29.89 ml de façade profondeur moyenne de 31.5ml.
cette parcelle est enclose de 3 cotés dont mur sur rue.
arborée et éclairée des 4 expositions sans ombrages de tiers.
cette parcelle est divisible en 2 lots à bâtir soit 39000 euros par terrain.
présence également d'essences fruitière.la parcelle est viabilisée avec présence du tampon de tout à l'égout, du polypropylène d'arrivée EAU et de coffret de branchement EDF ( à cet effet une participation lié à ces branchements est demandé par la commune pour un montant de 21.500 euros).des fondations particulières seront à mettre en œuvre suivant la construction (radier possible pour une construction en bois ou siporex - / - pieux ou micro pieux pour construction brique ou parpaings)renseignements urbanistiques et règlement délivrés lors de la visite.
Voir plus

Référence: 2338m
Honoraires à la charge du vendeur.
Barème des honoraires

Prêt immobilier

Vous souhaitez connaître votre capacité d’emprunt et trouver le meilleur crédit immobilier ?
Réaliser une simulation gratuite

Terrain à MEREVILLE
Terrain à MEREVILLE
Terrain à MEREVILLE
Terrain à MEREVILLE
Ce site est protégé par reCAPTCHA la Politique de confidentialité et les Conditions d’utilisation de Google s’appliquent.
Obtenir un prêt immobilier au meilleur taux ?

En poursuivant votre navigation sans modifier vos paramètres, vous acceptez l'utilisation de cookies susceptibles de réaliser des statistiques de visite. Cliquez ici pour plus d'informations