Pas de appartement à Le Mesnil-Amelot pour le moment. Découvrez dès maintenant les appartements dans le département Seine-et-Marne.

Terrain de 1860 m² environ à lotir

— Saint-Fulgent 85250 —
106 000 €
1 860 m²

Terrain de 1860 m² environ à lotir
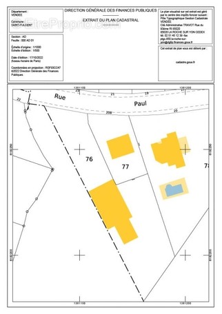
Zone U du PLU, parcelle AD 76 (cf photo annonce)
Réseaux et cheminement à prévoir sur la parcelle à partir de la rue Paul Chauvin
Bâtiment existant à démolir (chiffrage effectué)

Contactez moi pour tout renseignement complémentaire et visites
Olivier Naud, FIJ Immobilier

Faites estimer votre bien sur St Fulgent, St André Goule d'Oie, Chavagnes en Paillers, Chauché, St Georges de Montaigu, Montaigu, Boufféré...
Contactez votre conseiller immobilier FIJ M Naud.
Tél : [Coordonnées masquées]. Mail : [Coordonnées masquées]. Agent commercial immatriculé au RSAC de Nantes sous le numéro 417 995 925 . Spécialiste sur le secteur de Saint-Philbert-de-Grand-Lieu et ses environs.
Voir plus

Référence: AN100323FIJ1
Honoraires à la charge du vendeur.

Prêt immobilier

Vous souhaitez connaître votre capacité d’emprunt et trouver le meilleur crédit immobilier ?
Réaliser une simulation gratuite

Terrain à SAINT-FULGENT
Terrain à SAINT-FULGENT
Terrain à SAINT-FULGENT
Ce site est protégé par reCAPTCHA la Politique de confidentialité et les Conditions d’utilisation de Google s’appliquent.
Obtenir un prêt immobilier au meilleur taux ?

En poursuivant votre navigation sans modifier vos paramètres, vous acceptez l'utilisation de cookies susceptibles de réaliser des statistiques de visite. Cliquez ici pour plus d'informations