Bénéficiez des services de nos partenaires locaux soigneusement sélectionnés
pour vous accompagner dans votre parcours d'achat immobilier

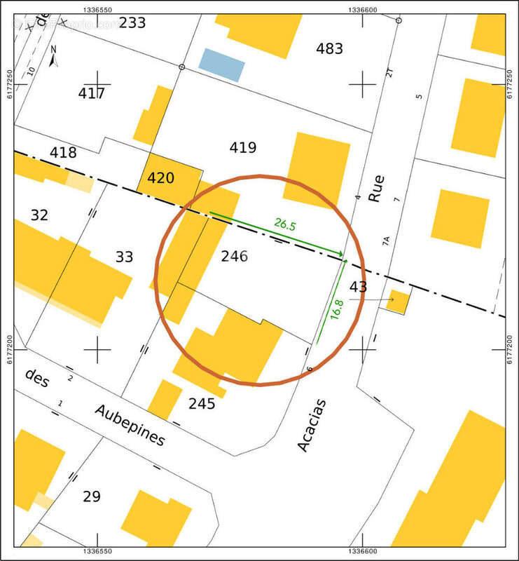
Terrain à bâtir à coex 417 m2

— Coex 85220 —
65 500 €
417 m²
jardin

Nos partenaires locaux
L' AGENCE L' ADRESSE SAINT GILLES CROIX DE VIE vous propose en exclusivité de découvrir ce terrain à bâtir d'une surface de 417 m², borné et viabilisé, situé à quelques pas du centre et de ses commerces Profitez de la douceur de vivre de ce village très agréable. Terrain plat situé dans un quartier résidentiel Le plus: présence d'une dépendance information et contact : agence L'ADRESSE SAINT GILLES CROIX DE VIE : [Coordonnées masquées]

Référence: 18774
Honoraires à la charge du vendeur.

Prêt immobilier

Vous souhaitez connaître votre capacité d’emprunt et trouver le meilleur crédit immobilier ?
Réaliser une simulation gratuite

Terrain à COEX
Terrain à COEX
Terrain à COEX
Terrain à COEX
Terrain à COEX
Ce site est protégé par reCAPTCHA la Politique de confidentialité et les Conditions d’utilisation de Google s’appliquent.
Obtenir un prêt immobilier au meilleur taux ?

En poursuivant votre navigation sans modifier vos paramètres, vous acceptez l'utilisation de cookies susceptibles de réaliser des statistiques de visite. Cliquez ici pour plus d'informations