Parcelle constructible - llo

— Llo 66800 —
95 000 €
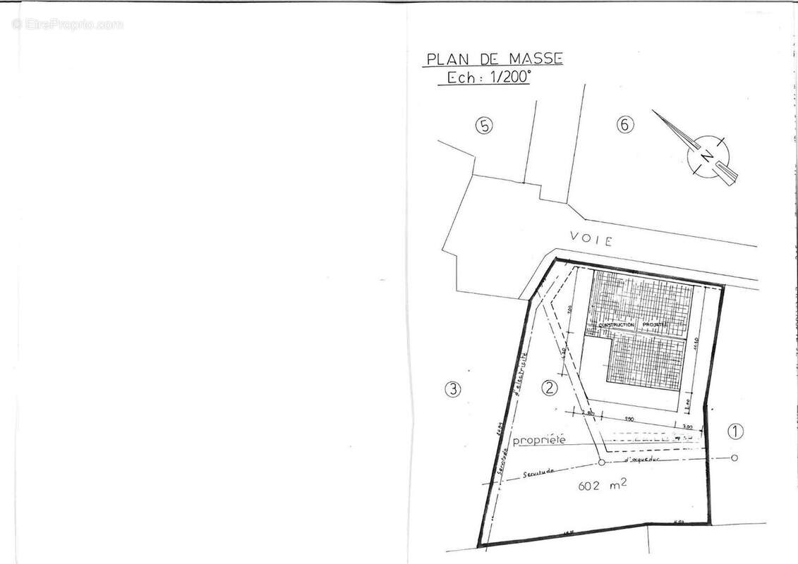
602 m²
jardin

Une parcelle constructible idéalement située dans une impasse bénéficiant d'une vue panoramique. Assainissement présent sur la parcelle et réseaux à proximité directe. A visiter! (7.40 % honoraires TTC à la charge de l'acquéreur.)

Honoraires d'agence de 7.4% à la charge de l'acquéreur
Barème des honoraires

Prêt immobilier

Vous souhaitez connaître votre capacité d’emprunt et trouver le meilleur crédit immobilier ?
Réaliser une simulation gratuite

Terrain à LLO
Terrain à LLO
Terrain à LLO
Terrain à LLO
Terrain à LLO
Terrain à LLO
Terrain à LLO
Ce site est protégé par reCAPTCHA la Politique de confidentialité et les Conditions d’utilisation de Google s’appliquent.
Obtenir un prêt immobilier au meilleur taux ?

En poursuivant votre navigation sans modifier vos paramètres, vous acceptez l'utilisation de cookies susceptibles de réaliser des statistiques de visite. Cliquez ici pour plus d'informations