Bénéficiez des services de nos partenaires locaux soigneusement sélectionnés
pour vous accompagner dans votre parcours d'achat immobilier

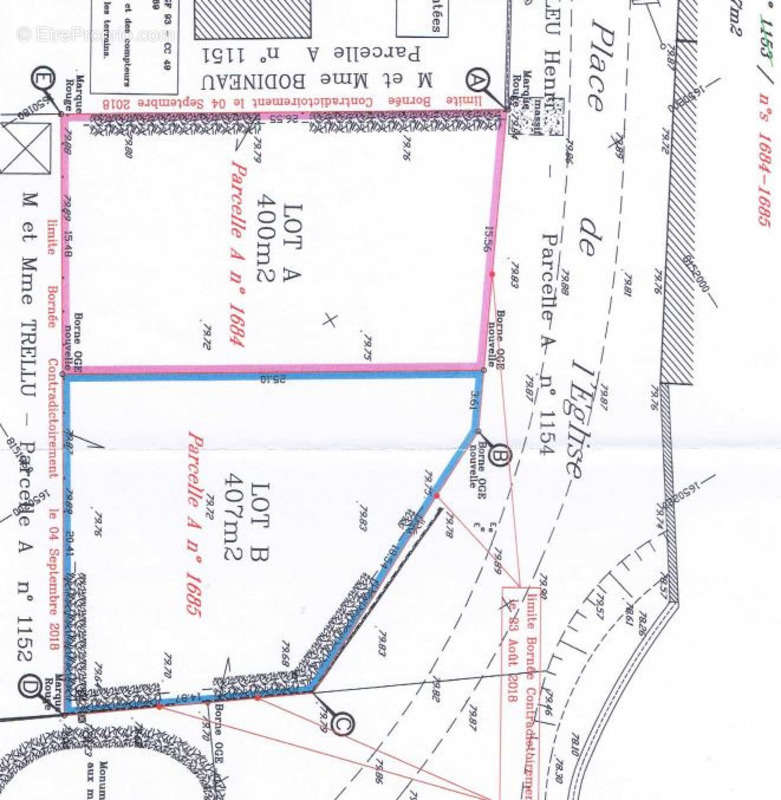
A vendre terrain constructible 400 m² leudeville dpt essonne (91)

— Leudeville 91630 —
169 000 €
400 m²

Nos partenaires locaux
LEUDEVILLE: beau Terrain à bâtir de 400 m², non viabilisé, en plein centre du village et à deux pas des écoles et des commerces.

En zone UB, façade de 15 m , et libre de constructeur, vous aurez la possibilité de construire avec 96 m² d'emprise au sol et 10 m au faitage.

Leudeville est un village de 1 500 habitants, à 40 kilomètres au sud de Paris, qui vous permettra de profiter de la nature sur les chemins et sentiers environnants, à pied ou à vélo.
A partir de la gare RER C de Marolles en Hurepoix, à 8 minutes en voiture, vous rejoindrez la capitale en 25minutes

Les honoraires sont à la charge du vendeur.
Les informations sur les risques auxquels ce bien est exposé sont disponibles sur le site Géorisques : www. georisques. gouv. fr.

Réseau Immobilier CAPIFRANCE - Votre agent commercial (RSAC N°823 388 764 - Greffe de EVRY) Vincent ANDRADE Entrepreneur Individuel [Coordonnées masquées] - Réf.879143
Voir plus

Référence: 340937562608
Honoraires à la charge du vendeur.

Prêt immobilier

Vous souhaitez connaître votre capacité d’emprunt et trouver le meilleur crédit immobilier ?
Réaliser une simulation gratuite

Terrain à LEUDEVILLE
Terrain à LEUDEVILLE
Terrain à LEUDEVILLE
Ce site est protégé par reCAPTCHA la Politique de confidentialité et les Conditions d’utilisation de Google s’appliquent.
Obtenir un prêt immobilier au meilleur taux ?

En poursuivant votre navigation sans modifier vos paramètres, vous acceptez l'utilisation de cookies susceptibles de réaliser des statistiques de visite. Cliquez ici pour plus d'informations