Bénéficiez des services de nos partenaires locaux soigneusement sélectionnés
pour vous accompagner dans votre parcours d'achat immobilier

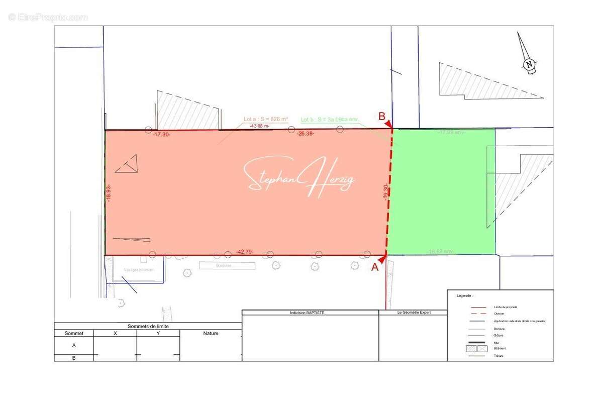
Terrain 826m² à lormont

— Lormont 33310 —
270 000 €
826 m²

Nos partenaires locaux
Dr House Immobilier vous propose ce superbe terrain de 826 m², libre de constructeur dans une impasse d'un secteur résidentiel et privilégié de Lormont.

Ce terrain plat, parfaitement exposé et au calme vous donne accès à toutes les commodités à pied (tram A - arrêt Gravières, bus arrêt Quai Numa Sensine, parcs, écoles...).

Grâce à son accès rapide à la rocade bordelaise, vous pourrez choisir entre une vie à pied, à vélo ou en voiture.

Zone UM 17 :

- Emprise Bâtie 30%
- Possibilité étage

À la recherche d’un environnement qualitatif pour votre futur « chez vous » ? Ce terrain est fait pour vous !

Contactez-nous pour obtenir davantage d'informations.

Visites possibles du lundi au dimanche.

Stephan Herzig - EI - Agent commercial immatriculé au RSAC de BORDEAUX sous le numéro 887 885 606. Ce bien vous est présenté par Stephan Herzig, votre conseiller indépendant Dr House Immo.
Voir plus

Référence: 82319DHI2698
Honoraires à la charge du vendeur.
Barème des honoraires

Prêt immobilier

Vous souhaitez connaître votre capacité d’emprunt et trouver le meilleur crédit immobilier ?
Réaliser une simulation gratuite

Terrain à LORMONT
Terrain à LORMONT
Terrain à LORMONT
Terrain à LORMONT
Terrain à LORMONT
Terrain à LORMONT
Terrain à LORMONT
Terrain à LORMONT
Terrain à LORMONT
Terrain à LORMONT
Terrain à LORMONT
Terrain à LORMONT
Terrain à LORMONT
Terrain à LORMONT
Terrain à LORMONT
Terrain à LORMONT
Terrain à LORMONT
Terrain à LORMONT
Terrain à LORMONT
Terrain à LORMONT
Terrain à LORMONT
Terrain à LORMONT
Terrain à LORMONT
Terrain à LORMONT
Terrain à LORMONT
Terrain à LORMONT
Terrain à LORMONT
Terrain à LORMONT
Terrain à LORMONT
Terrain à LORMONT
Terrain à LORMONT
Terrain à LORMONT
Terrain à LORMONT
Ce site est protégé par reCAPTCHA la Politique de confidentialité et les Conditions d’utilisation de Google s’appliquent.
Obtenir un prêt immobilier au meilleur taux ?

En poursuivant votre navigation sans modifier vos paramètres, vous acceptez l'utilisation de cookies susceptibles de réaliser des statistiques de visite. Cliquez ici pour plus d'informations