Bénéficiez des services de nos partenaires locaux soigneusement sélectionnés
pour vous accompagner dans votre parcours d'achat immobilier

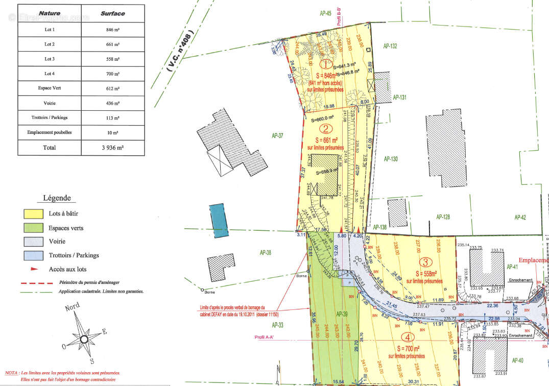
Liergues -- terrain à bâtir viabilisé de 558 m²

— Liergues 69400 —
150 000 €
558 m²
jardin

Nos partenaires locaux
EXCLUSIVITE Situé à proximité du centre du village, des transports et des écoles, découvrez ce beau terrain à bâtir (Lot 3) avec vue dégagée, dans un petit lotissement de 4 lots. Ce terrain permettra la construction d'une maison avec garage, d'une surface de plancher maximale de 250 m². Ce terrain n'est pas situé en zone protégée ou classée, ce qui laissera libre cours à vos projets architecturaux. Vous avez aussi le choix de votre constructeur. A découvrir avec SELECTION IMMOBILIER Beaujolais 04x74x02x60x00 Votre interlocutrice Delphine JOLY
Voir plus

Référence: 8929
Honoraires à la charge du vendeur.
Barème des honoraires

Prêt immobilier

Vous souhaitez connaître votre capacité d’emprunt et trouver le meilleur crédit immobilier ?
Réaliser une simulation gratuite

Terrain à LIERGUES
Terrain à LIERGUES
Terrain à LIERGUES
Ce site est protégé par reCAPTCHA la Politique de confidentialité et les Conditions d’utilisation de Google s’appliquent.
Obtenir un prêt immobilier au meilleur taux ?

En poursuivant votre navigation sans modifier vos paramètres, vous acceptez l'utilisation de cookies susceptibles de réaliser des statistiques de visite. Cliquez ici pour plus d'informations