Bénéficiez des services de nos partenaires locaux soigneusement sélectionnés
pour vous accompagner dans votre parcours d'achat immobilier

Commerce 117 m² à Cesson

— Cesson 77240 —
210 600 €
117 m²

Nos partenaires locaux
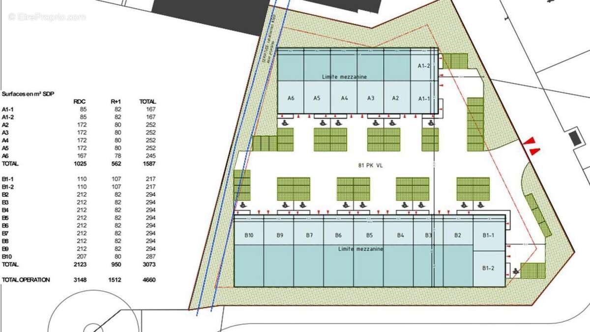
My Transac vous propose à la VENTE des locaux d'activités neufs comprenant 15 cellules sur 2 bâtiments surface à partir de 117m², 333m² et 442m²

Possibilité de réunir plusieurs surfaces

Prestations Activité :

- Hauteur libre : 7m50
- Porte sectionnelle : 2,7m x 3,5m
- Électricité : tarif bleu ou jaune selon la cellule
- Dallage en béton surfacé quartz (surcharge 3T/m²)
- Voirie lourde pour les aires de man?uvre et decirculation
- Site clos et sécurisé
- Accès par un portail coulissant motorisé réglé sur horloge
- Système d'interphone et commande du portail actionnable par téléphone depuis chaque lot
- Label BiodiverCity
- Certification BREEAM

Prestations Mezzanine :

- Desservie par escalier en béton, main courante métallique et marches carrelées
- Plancher béton dimensionné pour 250 kg/m² de surcharge utile et 100 kg/m² de charge constante
- Chauffage électrique par convecteurs radiants électriques
- Revêtement du sol en moquette en dalles 50x50 cm
- Faux-plafonds en dalles minérales 600x600 mm montées sur ossature métallique
- Eclairage par luminaires LED de 600x600 mm intégré au faux-plafond, 300 lux moyen

Accès :

Autoroute A5 sortie n°12 Cesson - Vert Saint Denis (6 min)
Francilienne N104 via A5b (10 min)
RER D « Gare de CESSON » (15min)
Bus 31 et 36 arrêts Montdauphin et Fontaine Ronde (5min)

Conditions financières :

Prix de vente : 1800 Euros HT/m²en fonction des lots
Honoraire de commercialisation : 5% HT du prix net vendeur
Voir plus

Référence: AG985-5713936
Commerce à CESSON
Commerce à CESSON
Commerce à CESSON
Commerce à CESSON
Commerce à CESSON
Commerce à CESSON
Commerce à CESSON
Commerce à CESSON
Géorisques

Les informations sur les risques auxquels ce bien est exposé sont disponibles sur le site Géorisques : www.georisques.gouv.fr

Ce site est protégé par hCaptcha Politique de confidentialité et Conditions d’utilisation s’appliquent.