Bénéficiez des services de nos partenaires locaux soigneusement sélectionnés
pour vous accompagner dans votre parcours d'achat immobilier

Commerce 118m² à cesson

— Cesson 77240 —
212 400 €
118 m²

Nos partenaires locaux
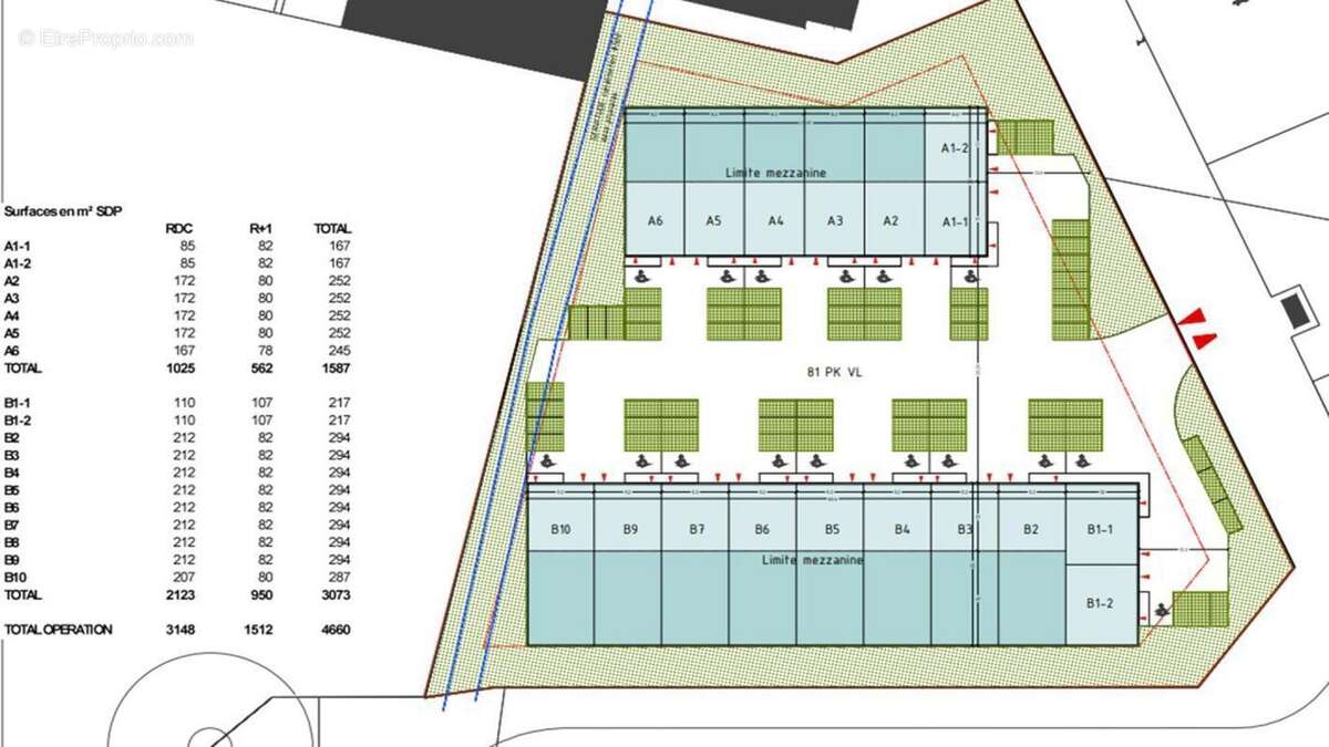
My Transac vous propose à la VENTE des locaux d'activités neufs comprenant 15 cellules sur 2 bâtiments surface à partir de 117m², 333m² et 442m²Possibilité de réunir plusieurs surfacesPrestations Activité :- Hauteur libre : 7m50- Porte sectionnelle : 2,7m x 3,5m- Électricité : tarif bleu ou jaune selon la cellule- Dallage en béton surfacé quartz (surcharge 3T/m²)- Voirie lourde pour les aires de man?uvre et decirculation- Site clos et sécurisé- Accès par un portail coulissant motorisé réglé sur horloge- Système d'interphone et commande du portail actionnable par téléphone depuis chaque lot- Label BiodiverCity- Certification BREEAMPrestations Mezzanine :- Desservie par escalier en béton, main courante métallique et marches carrelées- Plancher béton dimensionné pour 250 kg/m² de surcharge utile et 100 kg/m² de charge constante- Chauffage électrique par convecteurs radiants électriques- Revêtement du sol en moquette en dalles 50x50 cm- Faux-plafonds en dalles minérales 600x600 mm montées sur ossature métallique- Eclairage par luminaires LED de 600x600 mm intégré au faux-plafond, 300 lux moyenAccès :Autoroute A5 sortie n°12 Cesson ? Vert Saint Denis (6 min)Francilienne N104 via A5b (10 min)RER D « Gare de CESSON » (15min)Bus 31 et 36 arrêts Montdauphin et Fontaine Ronde (5min)Conditions financières :Prix de vente : 1800 Euros HT/m²en fonction des lotsHonoraire de commercialisation : 5% HT du prix net vendeur
Voir plus

Référence: AG985-5713947

Prêt immobilier

Vous souhaitez connaître votre capacité d’emprunt et trouver le meilleur crédit immobilier ?
Réaliser une simulation gratuite

Commerce à CESSON
Commerce à CESSON
Commerce à CESSON
Commerce à CESSON
Commerce à CESSON
Commerce à CESSON
Commerce à CESSON
Commerce à CESSON
Ce site est protégé par reCAPTCHA la Politique de confidentialité et les Conditions d’utilisation de Google s’appliquent.
Obtenir un prêt immobilier au meilleur taux ?

En poursuivant votre navigation sans modifier vos paramètres, vous acceptez l'utilisation de cookies susceptibles de réaliser des statistiques de visite. Cliquez ici pour plus d'informations