Bénéficiez des services de nos partenaires locaux soigneusement sélectionnés
pour vous accompagner dans votre parcours d'achat immobilier

Terrain constructible pc accepté coeur de bastide 33 500 libourne

— Libourne 33500 —
160 000 €
121 m²
jardin

Nos partenaires locaux
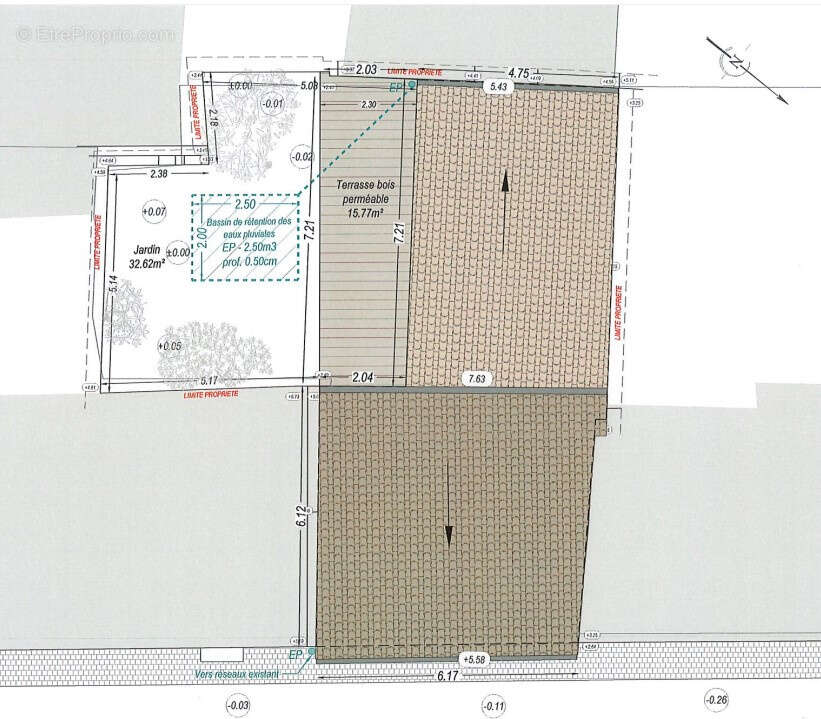
Situé dans l'hyper-centre de Libourne, ce terrain constructible de 121m2 représente une occasion unique dans un secteur très recherché.
D'une surface idéale, il bénéficie déjà d'un permis de construire validé pour une maison de 110m2, accompagnée d'un jardin de 50m2. Toutefois, ce terrain offre un grand potentiel et pourrait également permettre la réalisation de plusieurs logements, idéal pour les investisseurs souhaitant développer un projet locatif.
L'emplacement, à la fois central et calme, est un atout majeur. La rue à sens unique garantit une tranquillité parfaite tout en restant à proximité immédiate de toutes les commodités, commerces, écoles et transports. Que vous soyez à la recherche d'une maison familiale dans un cadre agréable ou d'un projet immobilier plus ambitieux, ce terrain saura répondre à vos attentes.
Avec un environnement à la fois vivant et paisible, ce bien offre une vraie valeur ajoutée pour quiconque souhaite investir à Libourne.
Ne laissez pas passer cette rare opportunité, appelez-nous pour visiter!
 
Voir plus

Référence: 3382
Honoraires d'agence de 6.67% à la charge de l'acquéreur
Barème des honoraires

Prêt immobilier

Vous souhaitez connaître votre capacité d’emprunt et trouver le meilleur crédit immobilier ?
Réaliser une simulation gratuite

Terrain à LIBOURNE
Terrain à LIBOURNE
Terrain à LIBOURNE
Terrain à LIBOURNE
Ce site est protégé par reCAPTCHA la Politique de confidentialité et les Conditions d’utilisation de Google s’appliquent.
Obtenir un prêt immobilier au meilleur taux ?

En poursuivant votre navigation sans modifier vos paramètres, vous acceptez l'utilisation de cookies susceptibles de réaliser des statistiques de visite. Cliquez ici pour plus d'informations