Bénéficiez des services de nos partenaires locaux soigneusement sélectionnés
pour vous accompagner dans votre parcours d'achat immobilier

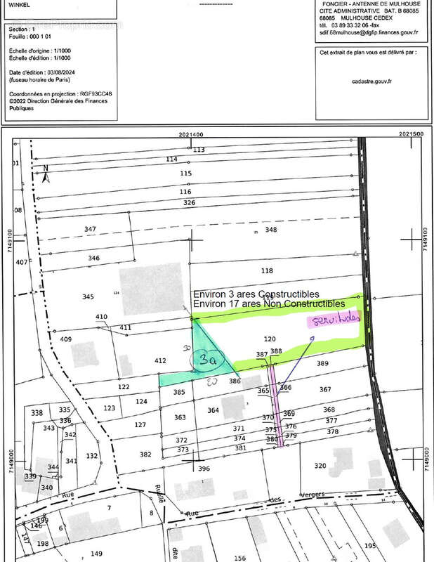
Terrain à bâtir à winkel

— Winkel 68480 —
60 000 €
2 086 m²
jardin

Nos partenaires locaux
Winkel, au calme, terrain de 20.86 ares dont environ 3 ares constructibles. 
Viabilisation et chemin d'accès à faire.
Zone sismique moyenne 4.
Bien de l'agence de Ferrette.
Contact [Coordonnées masquées]

Référence: 10573
Honoraires d'agence de 7.14% à la charge de l'acquéreur
Barème des honoraires

Prêt immobilier

Vous souhaitez connaître votre capacité d’emprunt et trouver le meilleur crédit immobilier ?
Réaliser une simulation gratuite

Terrain à WINKEL
Terrain à WINKEL
Ce site est protégé par reCAPTCHA la Politique de confidentialité et les Conditions d’utilisation de Google s’appliquent.
Obtenir un prêt immobilier au meilleur taux ?

En poursuivant votre navigation sans modifier vos paramètres, vous acceptez l'utilisation de cookies susceptibles de réaliser des statistiques de visite. Cliquez ici pour plus d'informations