Bénéficiez des services de nos partenaires locaux soigneusement sélectionnés
pour vous accompagner dans votre parcours d'achat immobilier

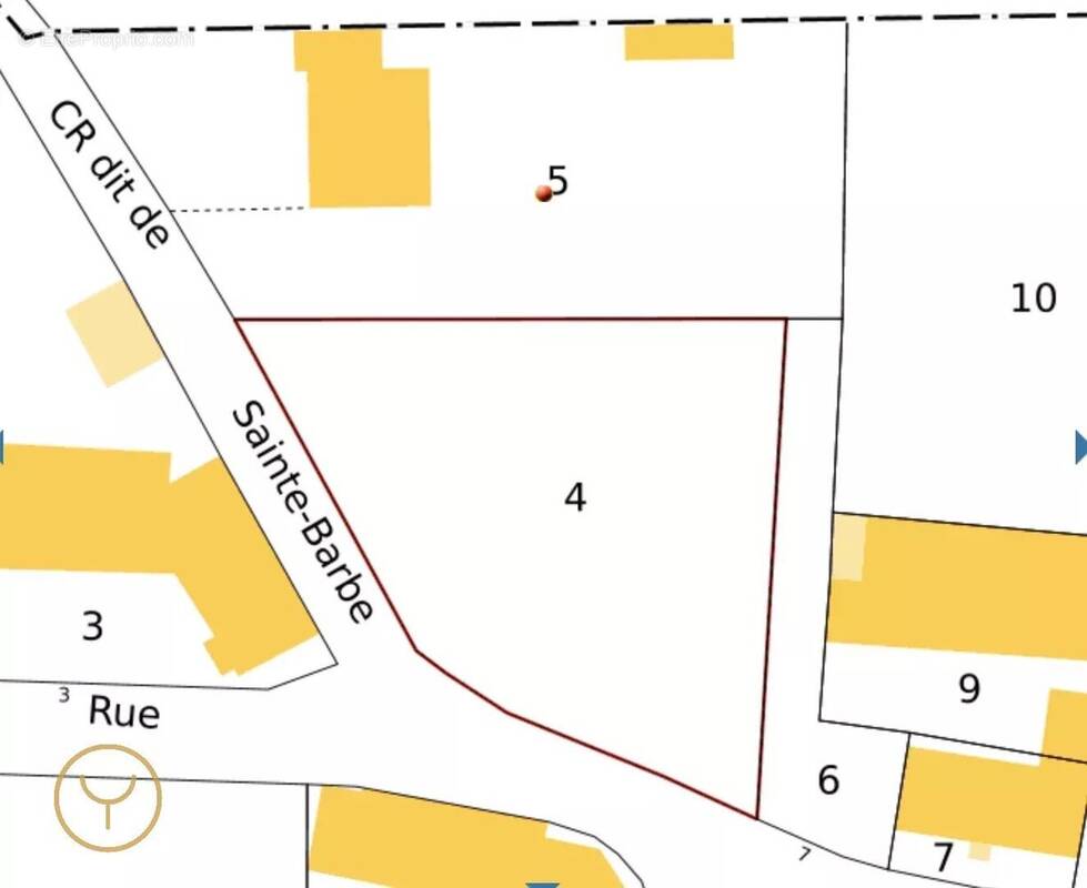
Terrain constructible non viabilisé

— Chalautre-La-Grande 77171 —
36 000 €
916 m²

Nos partenaires locaux
Charmant terrain constructible de 916 m² situé à Chalautre-la-Grande, dans un environnement calme et verdoyant, à seulement 15 minutes de Provins.

Ce terrain, entièrement clôturé, offre une belle superficie permettant la construction d'une maison individuelle avec jardin. Il est situé en zone constructible selon le Plan Local d’Urbanisme en vigueur, ce qui garantit une faisabilité de projet dans le respect des règles locales d’urbanisme.

Le terrain est non viabilisé, mais les réseaux d’eau, d’électricité, de télécommunications et d’assainissement passent à proximité, facilitant ainsi les démarches de raccordement. Son exposition et ses dimensions offrent de nombreuses possibilités d’aménagement.

On visite ? [Coordonnées masquées] Annonce rédigée sous la responsabilité de Léa PERRARD, agent commercial Joya - Rencontres Immobilières Nogent
Voir plus

Référence: LP

Prêt immobilier

Vous souhaitez connaître votre capacité d’emprunt et trouver le meilleur crédit immobilier ?
Réaliser une simulation gratuite

Terrain à CHALAUTRE-LA-GRANDE
Terrain à CHALAUTRE-LA-GRANDE
Terrain à CHALAUTRE-LA-GRANDE
Ce site est protégé par reCAPTCHA la Politique de confidentialité et les Conditions d’utilisation de Google s’appliquent.
Obtenir un prêt immobilier au meilleur taux ?

En poursuivant votre navigation sans modifier vos paramètres, vous acceptez l'utilisation de cookies susceptibles de réaliser des statistiques de visite. Cliquez ici pour plus d'informations