Terrain 306m² à pia

— Pia 66380 —
89 000 €
306 m²

Terrains à bâtir dans un lotissement neuf à Pia / Perpignan-Nord

Un cadre de vie paisible aux portes de la ville

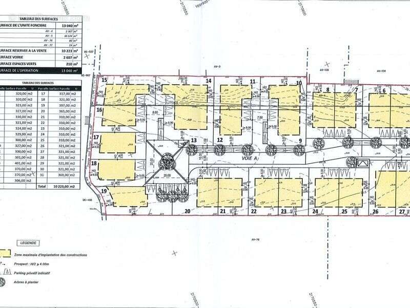
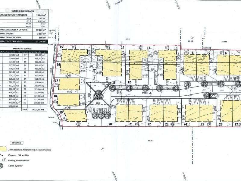
Vous travaillez à Perpignan et rêvez de faire construire votre maison dans un environnement calme, lumineux et familial ? Découvrez notre lotissement neuf à Pia, à seulement 10 minutes de Perpignan, avec des terrains allant de 316 m² à 401 m² et des surfaces de plancher autorisées allant de 175 m² à 275 m². Ce cadre de vie allie parfaitement tranquillité et proximité des commodités urbaines.

Caractéristiques des terrains disponibles :

Terrains allant de 316 m² à 401 m²
Surface de plancher autorisée : de 175 m² à 275 m²
Prix : à partir de 99 000 € pour un terrain de 316 m², jusqu’à 111 000 € pour un terrain de 401 m²
Terrain viabilisé : raccordements eau, électricité, télécom, assainissement collectif
Libre de constructeur - idéal pour une maison individuelle ou trois faces, selon vos besoins

Ces terrains sont plats et offrent une belle exposition sud-est, garantissant une luminosité optimale toute la journée. Ils permettent la construction de maisons spacieuses et fonctionnelles, adaptées à votre mode de vie. La superficie disponible vous permettra de concevoir une maison sur mesure avec des aménagements modernes, tout en profitant d’un environnement calme.

Les points forts :

Terrains plats dans un environnement résidentiel calme
Surface de plancher autorisée : jusqu’à 275 m²
Exposition sud-est idéale pour une belle luminosité
Libre de constructeur - parfait pour les artisans, auto-constructeurs ou particuliers souhaitant piloter leur propre projet
Proximité de Perpignan : travail, écoles, loisirs et commerces accessibles en 10 minutes

Pia : une vie de village aux portes de la ville
Pia est une commune dynamique, idéale pour les familles qui recherchent un cadre de vie serein tout en restant connectées aux commodités de Perpignan. Entre calme et accessibilité, vous profiterez d’un environnement méditerranéen agréable et d’un village à taille humaine, tout en restant proche des principales zones d’activités.

Ce lotissement est aussi un excellent choix pour les professionnels du bâtiment ou les auto-constructeurs désireux de valoriser leur savoir-faire et d’investir dans un emplacement stratégique.

Un terrain pour construire la maison familiale dont vous rêvez !
Des terrains complémentaires sont disponibles dans le même secteur. N'hésitez pas à nous contacter pour plus d'informations ou pour organiser une visite sur place.

Pour plus d’informations :
[Coordonnées masquées]
AGENCE IMMOBILIERE GEGB
www.immo66-gegb.fr

'Les informations sur les risques auxquels ce bien est exposé sont disponibles sur le site Géorisques : www.georisques.gouv.fr'
Voir plus

Référence: 24
Honoraires à la charge du vendeur.

Prêt immobilier

Vous souhaitez connaître votre capacité d’emprunt et trouver le meilleur crédit immobilier ?
Réaliser une simulation gratuite

Terrain à PIA
Terrain à PIA
Terrain à PIA
Terrain à PIA
Terrain à PIA
Terrain à PIA
Terrain à PIA
Terrain à PIA
Ce site est protégé par reCAPTCHA la Politique de confidentialité et les Conditions d’utilisation de Google s’appliquent.
Obtenir un prêt immobilier au meilleur taux ?

En poursuivant votre navigation sans modifier vos paramètres, vous acceptez l'utilisation de cookies susceptibles de réaliser des statistiques de visite. Cliquez ici pour plus d'informations