Bénéficiez des services de nos partenaires locaux soigneusement sélectionnés
pour vous accompagner dans votre parcours d'achat immobilier

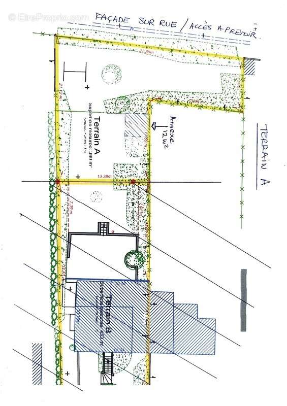
Rare - terrain à bâtir centre maule

— Maule 78580 —
179 900 €
380 m²

Nos partenaires locaux
Lise Guinot vous présente: Maule - Coeur de village - À pied des commerces, des écoles, de la maison médicale et de la gare, terrain à bâtir de 380m² issu d'une division parcellaire, non viabilisé, situé en zone Ub du PLU consultable à l'adresse suivante: https://www.maule.fr/cadre-vie/urba/plan-local-d-urbanisme.
Il permet la réalisation d'une maison individuelle type R + 1+ combles. Emprise au sol : 30%, surface de plancher max 152m². À disposition: une annexe de 12m². Viabilisation simple sur rue. Quartier résidentiel, pas de nuisance à signaler. Les honoraires d'agence sont à la charge de l'acquéreur, soit 7,00% TTC du prix hors honoraires.
Les informations sur les risques auxquels ce bien est exposé sont disponibles sur le site Géorisques : www. georisques. gouv. fr.

Contactez Lise GUINOT Entrepreneur Individuel à Responsabilité Limitée, Agent commercial OptimHome (RSAC N°822 138 988 Greffe de VERSAILLES) [Coordonnées masquées] (réf. 584879 )
Voir plus

Référence: 830036989328

Prêt immobilier

Vous souhaitez connaître votre capacité d’emprunt et trouver le meilleur crédit immobilier ?
Réaliser une simulation gratuite

Terrain à MAULE
Terrain à MAULE
Terrain à MAULE
Terrain à MAULE
Terrain à MAULE
Ce site est protégé par reCAPTCHA la Politique de confidentialité et les Conditions d’utilisation de Google s’appliquent.
Obtenir un prêt immobilier au meilleur taux ?

En poursuivant votre navigation sans modifier vos paramètres, vous acceptez l'utilisation de cookies susceptibles de réaliser des statistiques de visite. Cliquez ici pour plus d'informations