Bénéficiez des services de nos partenaires locaux soigneusement sélectionnés
pour vous accompagner dans votre parcours d'achat immobilier

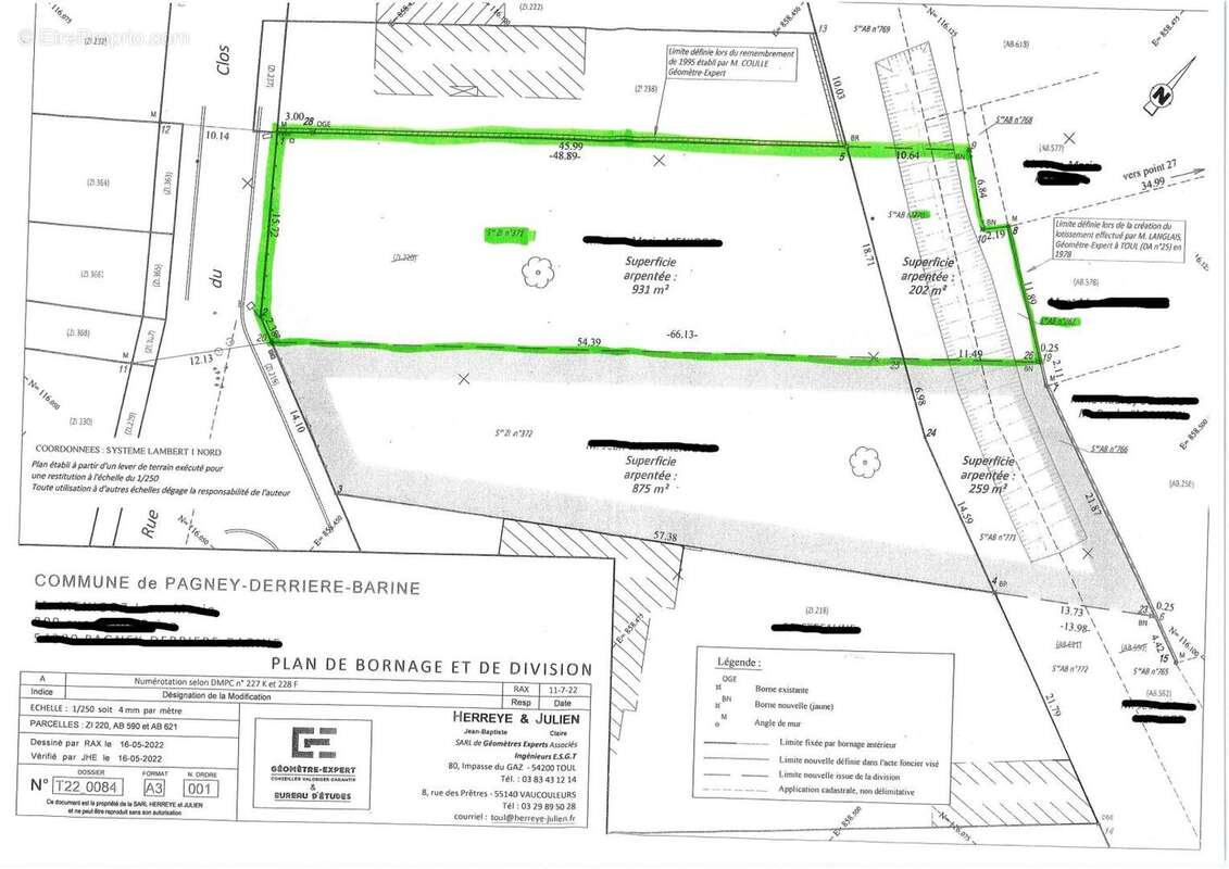
Terrain a batir 1130m2 sur la commune de pagney derriere barine

— Pagney-Derriere-Barine 54200 —
110 160 €
1 130 m²
jardin

Nos partenaires locaux
Situé sur la commune de Pagney derrière, donnant sur la rue du Clos Terrain à  batir d'environ 1130m2 avec façade de 15,72 m2 Non viabilisé mais viabilité en bordure prix : 110 160 euros (honoraires charge vendeur) Les informations sur les risques (pollution, inondation, séisme, etc.) auxquels ce bien est exposé sont disponibles sur le site Géorisques : georisques.gouv.fr Contact : Agence ML IMMOBILIER Victoria [Coordonnées masquées]

Barème des honoraires

Prêt immobilier

Vous souhaitez connaître votre capacité d’emprunt et trouver le meilleur crédit immobilier ?
Réaliser une simulation gratuite

Terrain à PAGNEY-DERRIERE-BARINE
Terrain à PAGNEY-DERRIERE-BARINE
Terrain à PAGNEY-DERRIERE-BARINE
Ce site est protégé par reCAPTCHA la Politique de confidentialité et les Conditions d’utilisation de Google s’appliquent.
Obtenir un prêt immobilier au meilleur taux ?

En poursuivant votre navigation sans modifier vos paramètres, vous acceptez l'utilisation de cookies susceptibles de réaliser des statistiques de visite. Cliquez ici pour plus d'informations