Bénéficiez des services de nos partenaires locaux soigneusement sélectionnés
pour vous accompagner dans votre parcours d'achat immobilier

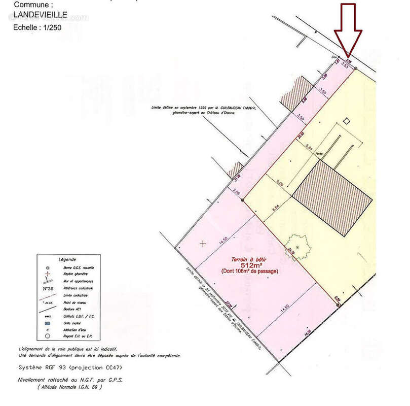
Terrain landevieille 512 m2

— Landevieille 85220 —
63 000 €
512 m²
jardin

Nos partenaires locaux
LANDEVIEILLE; idéalement situé à deux pas des commerces et à 5 min de BRETIGNOLLES SUR MER, venez bâtir votre maison sur ce terrain constructible non viabilisé de 512m² dont 106 m2 de passage. REF: 947. Honoraires à charge du vendeur. Non soumis au DPE. Les informations sur les risques auxquels ce bien est exposé sont disponibles sur le site Géorisques : www.georisques.gouv.fr

Référence: 1941
Honoraires à la charge du vendeur.

Prêt immobilier

Vous souhaitez connaître votre capacité d’emprunt et trouver le meilleur crédit immobilier ?
Réaliser une simulation gratuite

Terrain à LANDEVIEILLE
Terrain à LANDEVIEILLE
Ce site est protégé par reCAPTCHA la Politique de confidentialité et les Conditions d’utilisation de Google s’appliquent.
Obtenir un prêt immobilier au meilleur taux ?

En poursuivant votre navigation sans modifier vos paramètres, vous acceptez l'utilisation de cookies susceptibles de réaliser des statistiques de visite. Cliquez ici pour plus d'informations