À vendre : terrains viabilisés à souvigny

— Souvigny 03210 —
11 700 €
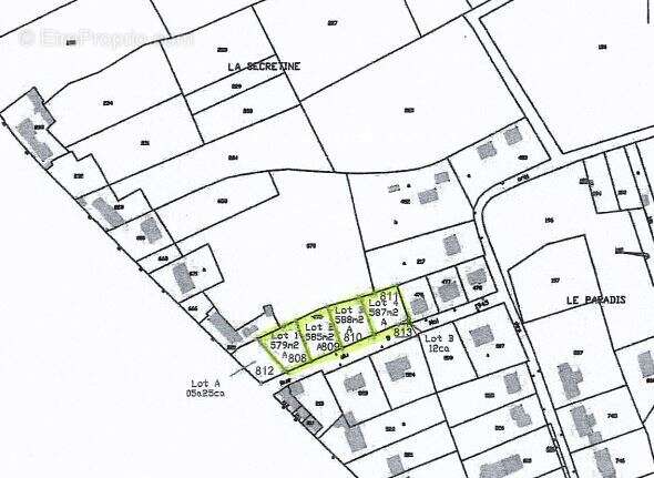
585 m²

Vous révez de faire construire votre maison dans un cadre paisible tout en restant proche des commodités ? Découvrez nos 4 terrains à bâtir situés à Souvigny, charmant village médiéval à seulement quelques minutes de Moulins.
Terrains viabilisés.
Libres de tout constructeur - construisez selon vos envies !
Secteur calme et résidentiel, à proximité immédiate du centre-ville.
Prix attractif : 20€/m².
Lot 2 : 585 m² dont 200 m² constructibles.

Référence: TERRSOUV2

Prêt immobilier

Vous souhaitez connaître votre capacité d’emprunt et trouver le meilleur crédit immobilier ?
Réaliser une simulation gratuite

Terrain à SOUVIGNY
Terrain à SOUVIGNY
Terrain à SOUVIGNY
Terrain à SOUVIGNY
Ce site est protégé par reCAPTCHA la Politique de confidentialité et les Conditions d’utilisation de Google s’appliquent.
Obtenir un prêt immobilier au meilleur taux ?

En poursuivant votre navigation sans modifier vos paramètres, vous acceptez l'utilisation de cookies susceptibles de réaliser des statistiques de visite. Cliquez ici pour plus d'informations