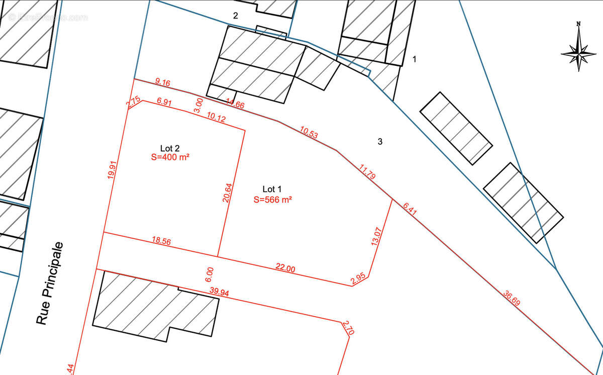
Exclusif ! terrain à bâtir de 5,66 ares hors lotissement

— Saasenheim 67390 —
81 000 €
566 m²
jardin

Situé dans la jolie commune de SAASENHEIM, proche de Sundhouse :
Belle parcelle de terrain à bâtir de 5,66 ares, située en 2e ligne, avec chemin d'accès privatif.
Non viabilisé (coût des viabilités : env. 12.000 € pour le terrain).
Règlementation d'urbanisme : la commune dispose d'une carte communale. C'est donc le RNU (Règlement national d'urbanisme) qui s'applique.

Référence: 1517
Barème des honoraires

Prêt immobilier

Vous souhaitez connaître votre capacité d’emprunt et trouver le meilleur crédit immobilier ?
Réaliser une simulation gratuite

Terrain à SAASENHEIM
Terrain à SAASENHEIM
Terrain à SAASENHEIM
Terrain à SAASENHEIM
Terrain à SAASENHEIM
Terrain à SAASENHEIM
Terrain à SAASENHEIM
Ce site est protégé par reCAPTCHA la Politique de confidentialité et les Conditions d’utilisation de Google s’appliquent.
Obtenir un prêt immobilier au meilleur taux ?

En poursuivant votre navigation sans modifier vos paramètres, vous acceptez l'utilisation de cookies susceptibles de réaliser des statistiques de visite. Cliquez ici pour plus d'informations