terrain viabilisé 1785 m² – vue exceptionnelle à saulxures-sur-moselotte

— Saulxures-Sur-Moselotte 88290 —
39 526 €
1 785 m²

Vous rêvez d'une maison contemporaine avec terrasses ou d'un chalet chaleureux au cœur des Vosges ?
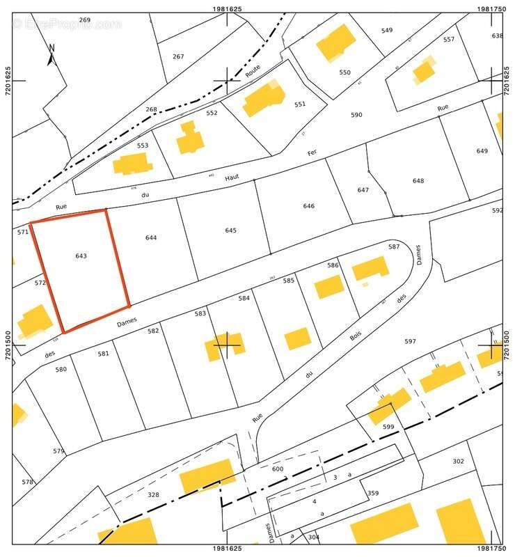
Ce terrain de 1785 m², situé parcelle AX 643, est fait pour vous.

Terrain viabilisé – prêt à accueillir votre projet.
Accès par le haut (rue du Haut Fer).
Quartier résidentiel prisé, composé uniquement de constructions récentes et spacieuses.
À 5 minutes à pied du centre-ville, grâce aux sentiers piétons qui rejoignent les commodités.
Vue panoramique exceptionnelle sur le village, la forêt et les montagnes environnantes.

À savoir : le terrain est en pente (accès par le haut). La construction nécessitera un sous-sol et un terrassement adapté. Cette configuration permet cependant de créer des maisons d'architecte spectaculaires ou de magnifiques chalets avec terrasses plein sud et vues imprenables.

Un cadre de vie unique : Saulxures-sur-Moselotte offre non seulement des sentiers de randonnée et une nature préservée, mais aussi un très beau lac aménagé avec activités nautiques et détente au bord de l'eau. Un atout apprécié aussi bien par les habitants que par les vacanciers, renforçant l'attractivité de la commune.

Localisation : Rue du Haut Fer – Saulxures-sur-Moselotte (Vosges).
Le plan cadastral avec la parcelle (AX 643) fourni dans les photos de l'annonce.

Une opportunité rare : de grands terrains dans ce secteur deviennent de plus en plus rares. Ne manquez pas ce cadre privilégié et recherché pour construire votre futur cocon dans les Hautes Vosges.

Ce terrain ne correspond pas parfaitement à vos critères, voici les autres terrains voisins disponibles à la vente :
AX 644 : 1 505m2
AX 645 : 1 402m2
AX 646 : 1 347m2
AX 648 : 1 560m2
AX 580 : 936m2
AX 581 : 961 m2
AX 582 : 1 100m2
Contactez Anne REMY OPTIMHOME pour plus d'informations. Les honoraires d'agence sont à la charge de l'acquéreur, soit 9,72% TTC du prix hors honoraires.
Les informations sur les risques auxquels ce bien est exposé sont disponibles sur le site Géorisques : www. georisques. gouv. fr.

Contactez Anne REMY Entrepreneur Individuel, Agent commercial OptimHome (RSAC N°529 125 726 Greffe de EPINAL) [Coordonnées masquées] (réf. 591039 )
Voir plus

Référence: 830033029181

Prêt immobilier

Vous souhaitez connaître votre capacité d’emprunt et trouver le meilleur crédit immobilier ?
Réaliser une simulation gratuite

Terrain à SAULXURES-SUR-MOSELOTTE
Terrain à SAULXURES-SUR-MOSELOTTE
Terrain à SAULXURES-SUR-MOSELOTTE
Terrain à SAULXURES-SUR-MOSELOTTE
Ce site est protégé par reCAPTCHA la Politique de confidentialité et les Conditions d’utilisation de Google s’appliquent.
Obtenir un prêt immobilier au meilleur taux ?

En poursuivant votre navigation sans modifier vos paramètres, vous acceptez l'utilisation de cookies susceptibles de réaliser des statistiques de visite. Cliquez ici pour plus d'informations