"trevy 1" trévignon - terrain dans un environnement calme

— Tregunc 29910 —
144 450 €
500 m²
jardin

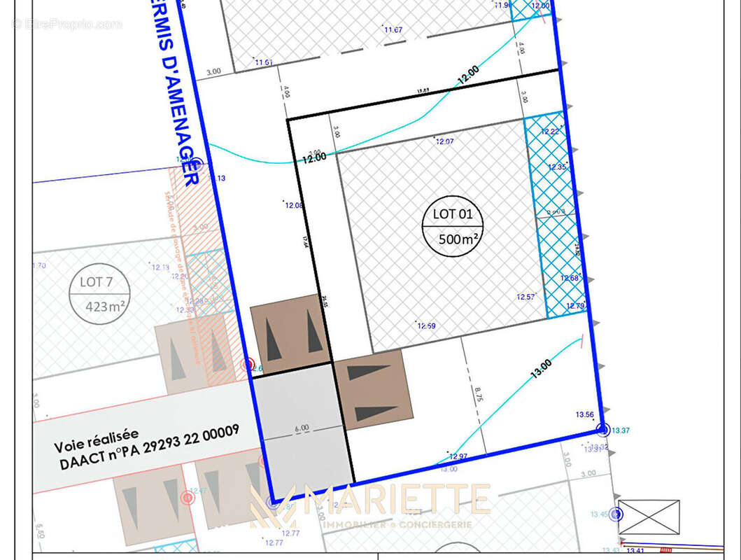
"TREVY 1" Est ce terrain de 500 m², situé en fond d'impasse dans un petit lotissement, sur la pointe de Trévignon. Viabilisé et constructible, il profite d'un emplacement rare, dans un environnement calme et naturel, à deux pas des étangs. A seulement 500 mètres, les plages, le port et les sentiers côtiers s'offrent à vous, pour une vie tournée vers la mer et la nature. Ce que l'on aime : L'adresse en impasse, la proximité immédiate de la mer et du port, le calme des étangs, la parcelle prête à accueillir un projet. Points d'intérêt : Points d'intérêts : A 500 mètres des plages et du bord de mer A 1 KM du port de Trévignon A 6 KM du centre ville de Trégunc A 10 KM de Concarneau A 20 KM de la gare de Rosporden Plus d'informations sur notre site www.mariette-immobilier-conciergerie.com et sur nos réseaux sociaux. Depuis plus de 3 ans, Mariette Immobilier Conciergerie soutient la SNSM de Trévignon et Concarneau en reversant 1 % de chaque commission d'agence, afin de contribuer à leurs actions de prévention et de sauvetage en mer. (7.00 % honoraires TTC à la charge de l'acquéreur.)
Voir plus

Référence: 470
Honoraires d'agence de 7% à la charge de l'acquéreur
Barème des honoraires

Prêt immobilier

Vous souhaitez connaître votre capacité d’emprunt et trouver le meilleur crédit immobilier ?
Réaliser une simulation gratuite

Terrain à TREGUNC
Terrain à TREGUNC
Terrain à TREGUNC
Terrain à TREGUNC
Ce site est protégé par reCAPTCHA la Politique de confidentialité et les Conditions d’utilisation de Google s’appliquent.
Obtenir un prêt immobilier au meilleur taux ?

En poursuivant votre navigation sans modifier vos paramètres, vous acceptez l'utilisation de cookies susceptibles de réaliser des statistiques de visite. Cliquez ici pour plus d'informations