Bénéficiez des services de nos partenaires locaux soigneusement sélectionnés
pour vous accompagner dans votre parcours d'achat immobilier

Terrain à vendre de 614m² saint esteve (66)

— Saint-Esteve 66240 —
227 000 €
614 m²

Nos partenaires locaux
St Estève, à 5 minutes de Perpignan, avec toutes les commodités nécessaires : écoles, culture, sports, commerces...
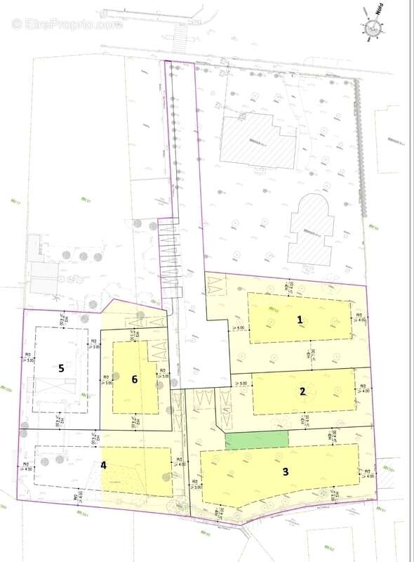
Joli terrain plat viabilisé de 614m² pour projet de construction d'une maison 4 faces en lotissement. Possibilité de bâtir jusqu'à 300 m² de surface plancher. Correspond au lot numéro 5 sur le plan.
Idéal pour concrétiser votre projet de vie dans un environnement agréable et bien situé !

Vous avez pour projet de vous installer dans une petite ville proche de Perpignan, où il fait bon vivre ? N'attendez pas ce terrain est celui qu'il vous faut ! Les honoraires sont à la charge du vendeur.
Les informations sur les risques auxquels ce bien est exposé sont disponibles sur le site Géorisques : www. georisques. gouv. fr.

Contactez Laëtitia MARCHAND Entrepreneur Individuel, Agent commercial OptimHome (RSAC N°791 138 647 Greffe de PERPIGNAN) [Coordonnées masquées] (réf. 591448 )
Voir plus

Référence: 830033908263
Honoraires à la charge du vendeur.

Prêt immobilier

Vous souhaitez connaître votre capacité d’emprunt et trouver le meilleur crédit immobilier ?
Réaliser une simulation gratuite

Terrain à SAINT-ESTEVE
Terrain à SAINT-ESTEVE
Ce site est protégé par reCAPTCHA la Politique de confidentialité et les Conditions d’utilisation de Google s’appliquent.
Obtenir un prêt immobilier au meilleur taux ?

En poursuivant votre navigation sans modifier vos paramètres, vous acceptez l'utilisation de cookies susceptibles de réaliser des statistiques de visite. Cliquez ici pour plus d'informations