Terrain 739m² à montfermeil

— Montfermeil 93370 —
195 000 €
739 m²

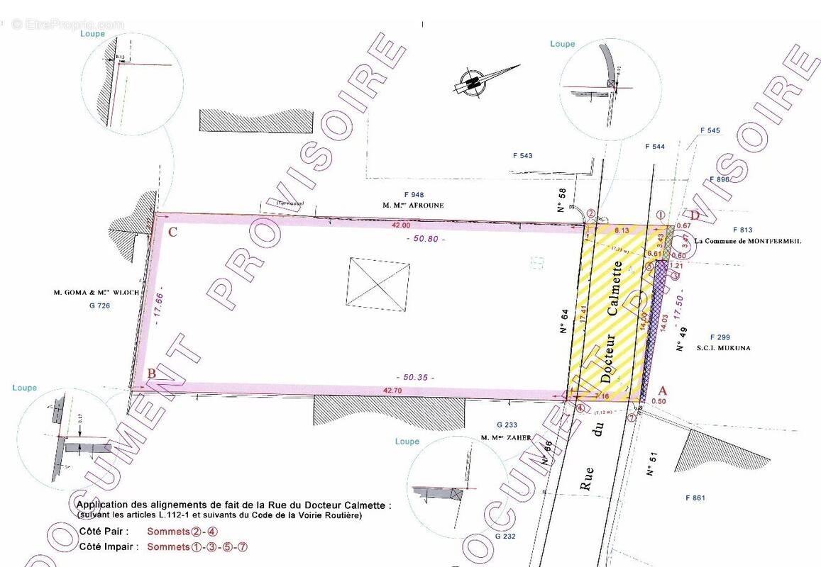
Terrain constructible (libre de constructeur) – 739 m² – 64 rue Docteur Calmette, Montfermeil (93370)

EXCLUSIVITÉ NATIMMO À Montfermeil, secteur pavillonnaire recherché du Moulin, découvrez "HUGO" ce beau terrain constructible de 739m², situé au 64 rue Docteur Calmette.

Caractéristiques du terrain
• Surface : 739 m²
• Façade : 17,41 mètres sur rue
• Profondeur : environ 42 mètres
• Topographie : terrain en pente montante importante depuis la rue (idéal pour sous-sol, maison à paliers ou jardin en terrasses)
• Annexe : petite construction d’environ 30 m² à démolir
• Équipements : terrain déjà desservi en eau et électricité



Ce que vous pouvez construire (zone UC)
• Hauteur maximale : jusqu’à 9 mètres (rez-de-chaussée + étage + combles)
• Implantation :
• Soit maison centrée, avec environ 11 m de largeur constructible (3 m de chaque côté),
• Soit maison collée en limite d’un côté, avec environ 14 m de largeur constructible (3 m de recul de l’autre côté).
• Profondeur constructible : bande principale d’environ 15 m depuis la rue

Cela permet d’envisager une maison familiale spacieuse :
• En centrée : environ 330 m² de surface de plancher + combles (≈ 400 m² possibles)
• En mitoyen : environ 420 m² de surface de plancher + combles (≈ 500 m² possibles)



Les atouts du terrain
• Largeur de façade rare à Montfermeil
• Terrain déjà viabilisé en eau et électricité
• Pente exploitable pour un sous-sol total, une maison moderne en paliers ou un aménagement paysager en terrasses
• Emplacement pavillonnaire calme, proche des commodités et transports



Une opportunité idéale pour bâtir une maison familiale de standing, avec de nombreuses possibilités architecturales.

Contactez NATIMMO au [Coordonnées masquées] pour plus d’informations ou organiser une visite.
Voir plus

Référence: 86189551
Barème des honoraires

Prêt immobilier

Vous souhaitez connaître votre capacité d’emprunt et trouver le meilleur crédit immobilier ?
Réaliser une simulation gratuite

Terrain à MONTFERMEIL
Terrain à MONTFERMEIL
Terrain à MONTFERMEIL
Terrain à MONTFERMEIL
Terrain à MONTFERMEIL
Terrain à MONTFERMEIL
Terrain à MONTFERMEIL
Terrain à MONTFERMEIL
Terrain à MONTFERMEIL
Ce site est protégé par reCAPTCHA la Politique de confidentialité et les Conditions d’utilisation de Google s’appliquent.
Obtenir un prêt immobilier au meilleur taux ?

En poursuivant votre navigation sans modifier vos paramètres, vous acceptez l'utilisation de cookies susceptibles de réaliser des statistiques de visite. Cliquez ici pour plus d'informations