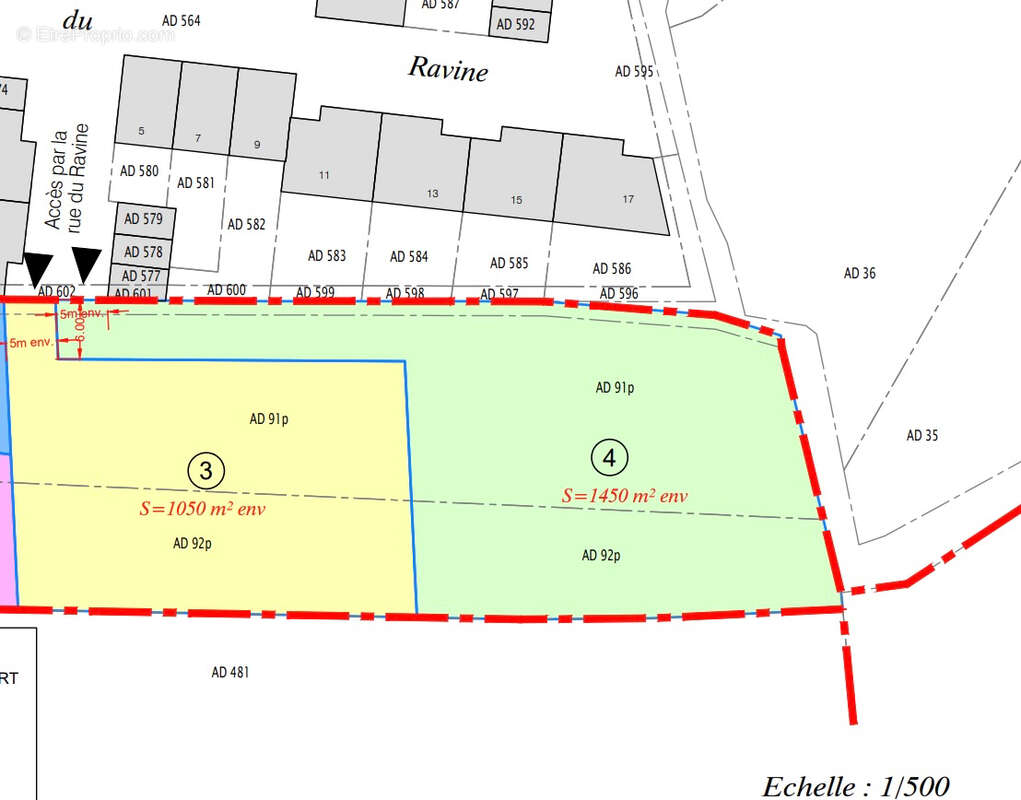
Terrain centre pecquencourt 1050 m2 façade + 30m / lot 3

— Pecquencourt 59146 —
89 900 €
1 050 m²
jardin

Laforêt vous propose en plein coeur de ville, derrière la Poste Rue du Raviné Exceptionnel terrain façade 30m env, idéal plain pied, expo sud-Ouest sur l'arrière Joli terrain, plat, disposant de végétations Une opportunité pour l'implantation de votre future construction ! Il ne vous reste donc plus qu'à imaginer la maison dont vous rêviez ... Nous sommes à votre service pour tout renseignement Contact ALEXIS CARON Agent commercial RSAC DOUAI 822 527 743 Nous vous proposons de consulter nos "avis clients" en reportant ce lien : http://immobilier-douai.laforet.opinionsystem.fr Alexis CARON (EI) Agent Commercial - Numéro RSAC : 822513156 - DOUAI.
Voir plus

Référence: 5667
Honoraires à la charge du vendeur.
Barème des honoraires

Prêt immobilier

Vous souhaitez connaître votre capacité d’emprunt et trouver le meilleur crédit immobilier ?
Réaliser une simulation gratuite

Terrain à PECQUENCOURT
Terrain à PECQUENCOURT
Terrain à PECQUENCOURT
Ce site est protégé par reCAPTCHA la Politique de confidentialité et les Conditions d’utilisation de Google s’appliquent.
Obtenir un prêt immobilier au meilleur taux ?

En poursuivant votre navigation sans modifier vos paramètres, vous acceptez l'utilisation de cookies susceptibles de réaliser des statistiques de visite. Cliquez ici pour plus d'informations