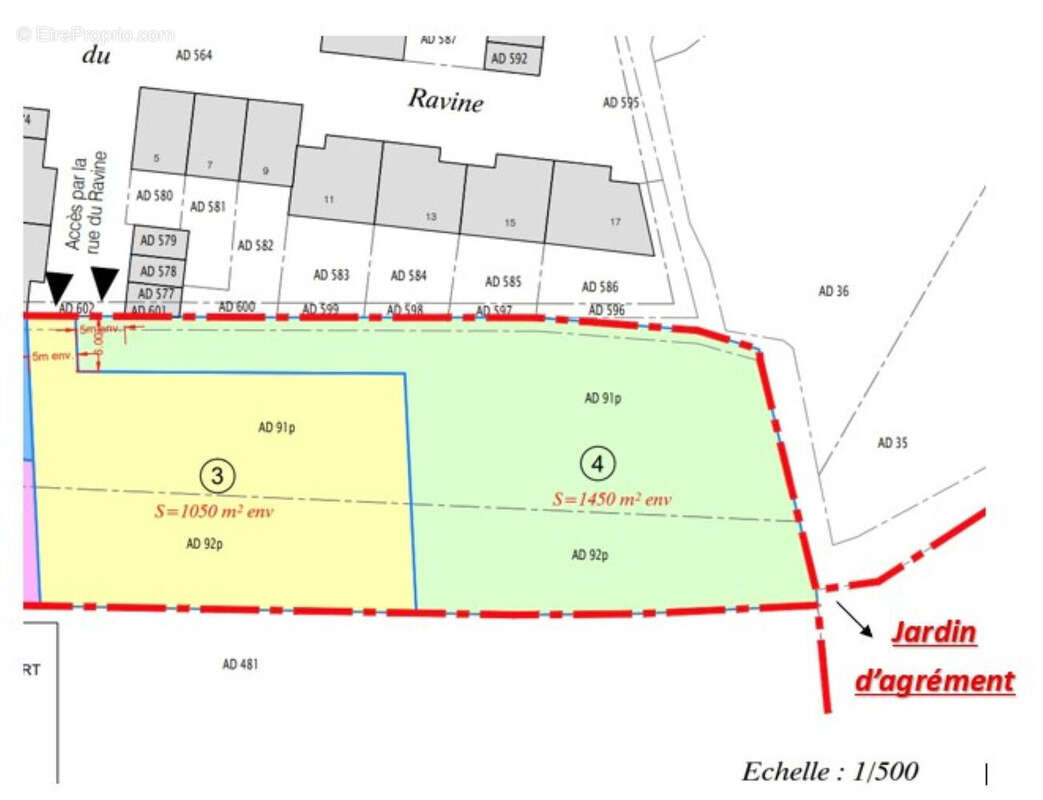
Terrain à bâtir centre pecquencourt 1450 m2 façade + 30m / lot 4

— Pecquencourt 59146 —
99 900 €
4 928 m²
jardin

Laforêt vous propose en plein coeur de ville, derrière la Poste Rue du Raviné Exceptionnel terrain façade 33m env, idéal plain pied, expo sud-Ouest sur l'arrière Joli terrain plat Une opportunité pour l'implantation de votre future construction ! Vous bénéficierez d'un magnifique jardin d'agrément attenant au terrain d'une surface de plus de 3400 m² Contact ALEXIS CARON Agent commercial RSAC DOUAI 822 527 743 Nous vous proposons de consulter nos "avis clients" en reportant ce lien : http://immobilier-douai.laforet.opinionsystem.fr Alexis CARON (EI) Agent Commercial - Numéro RSAC : 822513156 - DOUAI.
Voir plus

Référence: 5668
Honoraires à la charge du vendeur.
Barème des honoraires

Prêt immobilier

Vous souhaitez connaître votre capacité d’emprunt et trouver le meilleur crédit immobilier ?
Réaliser une simulation gratuite

Terrain à PECQUENCOURT
Terrain à PECQUENCOURT
Terrain à PECQUENCOURT
Ce site est protégé par reCAPTCHA la Politique de confidentialité et les Conditions d’utilisation de Google s’appliquent.
Obtenir un prêt immobilier au meilleur taux ?

En poursuivant votre navigation sans modifier vos paramètres, vous acceptez l'utilisation de cookies susceptibles de réaliser des statistiques de visite. Cliquez ici pour plus d'informations