À vendre terrain à bâtir berck-sur-mer

— Berck 62600 —
117 700 €
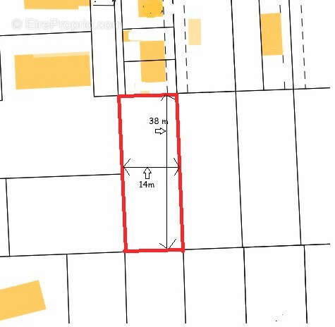
546 m²
jardin

Rare sur le marché ! Situé au calme, en retrait de la route et à seulement 1 km de la plage, ce terrain plat de 546 m2 offre un cadre idéal pour votre projet de construction.


Exposition plein SUD à l’arrière : profitez d’un ensoleillement optimal


CU opérationnel favorable : prêt pour votre future maison


Emplacement recherché, au calme


Prix : 117 700 €
Une opportunité exceptionnelle pour créer votre résidence principale ou secondaire à Berck-sur-Mer. Ne tardez pas !
Contactez-nous dès aujourd’hui pour une visite.
Voir plus

Référence: 654
Barème des honoraires

Prêt immobilier

Vous souhaitez connaître votre capacité d’emprunt et trouver le meilleur crédit immobilier ?
Réaliser une simulation gratuite

Terrain à BERCK
Terrain à BERCK
Terrain à BERCK
Terrain à BERCK
Ce site est protégé par reCAPTCHA la Politique de confidentialité et les Conditions d’utilisation de Google s’appliquent.
Obtenir un prêt immobilier au meilleur taux ?

En poursuivant votre navigation sans modifier vos paramètres, vous acceptez l'utilisation de cookies susceptibles de réaliser des statistiques de visite. Cliquez ici pour plus d'informations