Terrain 1024m² à nailloux

— Nailloux 31560 —
140 000 €
1 024 m²

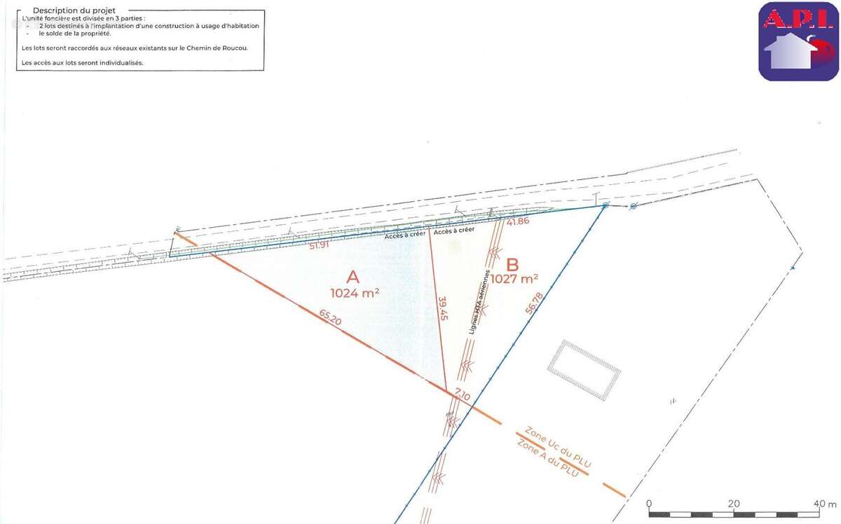
TERRAIN A BATIR Sur une voie sans issue, à mi-chemin entre le village de Saint Léon et l'accès autoroutier de Nailloux, venez projeter les plans de votre future villa sur cette belle parcelle plate de 1024m². En zone Uc du PLU de la commune, ce beau terrain offre une vue dégagée sur la campagne Lauragaise et la chaîne des Pyrénées. Terrain à viabiliser : réseaux d'eau et d'électricité en bordure de route. Prévoir également la création d'un accès sur la parcelle et un assainissement autonome. Autre lot disponible à la vente de 1027m² (LOT B) à 97.000€ FAI. Nous consulter. AGENCE PYRENEES IMMOBILIER - Votre Conseillère : Elodie MUNOZ - [Coordonnées masquées] - Plus d'informations sur www.pyrenees-immobilier.com (réf. [Coordonnées masquées])
Voir plus

Référence: 17856
Honoraires à la charge du vendeur.
Barème des honoraires

Prêt immobilier

Vous souhaitez connaître votre capacité d’emprunt et trouver le meilleur crédit immobilier ?
Réaliser une simulation gratuite

Terrain à NAILLOUX
Terrain à NAILLOUX
Terrain à NAILLOUX
Terrain à NAILLOUX
Ce site est protégé par reCAPTCHA la Politique de confidentialité et les Conditions d’utilisation de Google s’appliquent.
Obtenir un prêt immobilier au meilleur taux ?

En poursuivant votre navigation sans modifier vos paramètres, vous acceptez l'utilisation de cookies susceptibles de réaliser des statistiques de visite. Cliquez ici pour plus d'informations