Terrain 20m² à martigne-briand

— Martigne-Briand 49540 —
82 450 €
20 m²

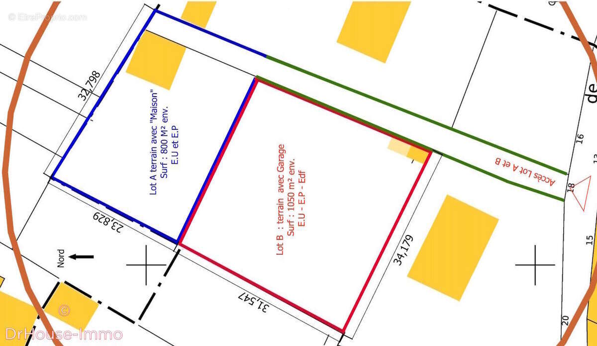
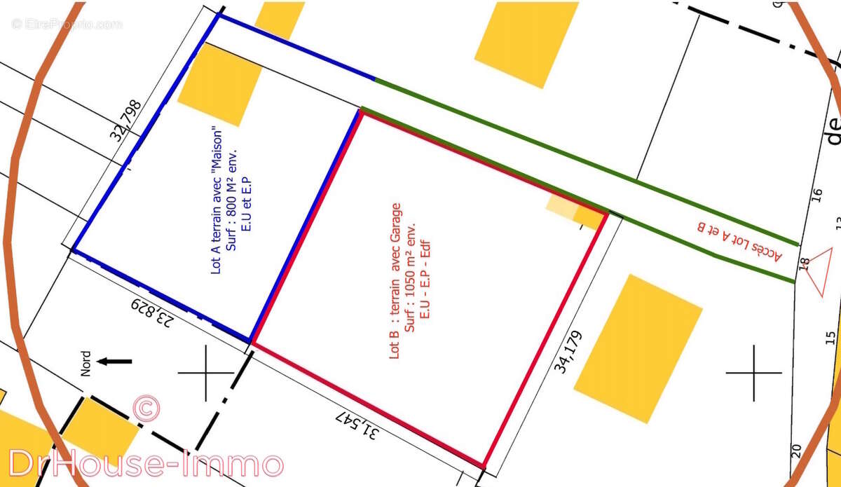
Dans un secteur résidentiel recherché, au cœur du village de charme de Martigné-Briand, découvrez ce terrain constructible (Lot B), libre de tout constructeur. Ce terrain boisé et paysagé dispose déjà d’une première construction, aujourd’hui utilisée comme garage, offrant un point de départ idéal pour votre projet. Les réseaux d’eaux usées, pluviales et d’électricité sont déjà installés, tandis que la téléphonie est disponible en limite de propriété. Entièrement clos en partie de murs en pierre et doté d’un puits, il offre un cadre authentique et préservé, alliant calme, verdure et proximité immédiate des commodités. Des plans et cotations, fournis à titre indicatif et non contractuel, sont à votre disposition pour faciliter votre projection. Le terrain mitoyen, désigné Lot A, est également en vente (arpentage en cours). Une opportunité idéale si vous souhaitez agrandir ou développer un projet complémentaire. N’attendez plus pour découvrir ce bien rare et plein de potentiel. Foued, votre conseiller immobilier en Anjou, est à votre écoute pour vous accompagner dans la concrétisation de votre projet. Ce bien vous est présenté par Foued Abdallah, votre conseiller indépendant Dr House Immo.
Voir plus

Référence: 104494DHI1604
Honoraires d'agence de 11.11% à la charge de l'acquéreur
Barème des honoraires

Prêt immobilier

Vous souhaitez connaître votre capacité d’emprunt et trouver le meilleur crédit immobilier ?
Réaliser une simulation gratuite

Terrain à MARTIGNE-BRIAND
Terrain à MARTIGNE-BRIAND
Terrain à MARTIGNE-BRIAND
Terrain à MARTIGNE-BRIAND
Terrain à MARTIGNE-BRIAND
Terrain à MARTIGNE-BRIAND
Terrain à MARTIGNE-BRIAND
Terrain à MARTIGNE-BRIAND
Terrain à MARTIGNE-BRIAND
Terrain à MARTIGNE-BRIAND
Terrain à MARTIGNE-BRIAND
Terrain à MARTIGNE-BRIAND
Terrain à MARTIGNE-BRIAND
Terrain à MARTIGNE-BRIAND
Ce site est protégé par reCAPTCHA la Politique de confidentialité et les Conditions d’utilisation de Google s’appliquent.
Obtenir un prêt immobilier au meilleur taux ?

En poursuivant votre navigation sans modifier vos paramètres, vous acceptez l'utilisation de cookies susceptibles de réaliser des statistiques de visite. Cliquez ici pour plus d'informations