Local occupe - investisseur a vendre

— Viriville 38980 —
2 288 550 €
3 528 m²

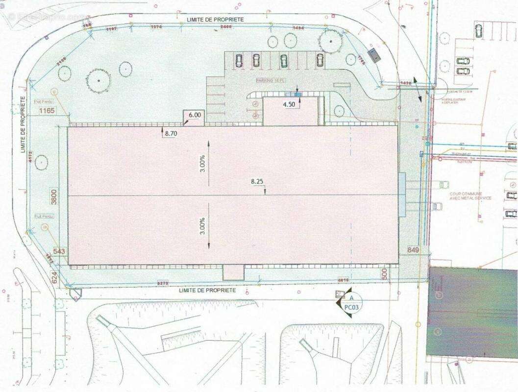
Spécial investisseur avec 3 locataires en place.Local de 3 528 m² divisé en 3 lots dont 128 m² de bureaux implanté sur un terrain 7 400 m² environ - plein pied avec accès poids lourds dans un site clos avec portail sur horloge éclairage extérieur et terrain bitumé - bâtiment entièrement isolé avec des hauteurs sous toiture de 7.90 à 8.45 m - 4 portes sectionnelles motorisées de 4.00 x 5.00 mH - possibilité d'installer 2 ponts roulants de 10 T - courant 220 et 380 V 240 Kva - gaz de ville - bureaux vestiaires sanitaires douches - fibre optique baie de brassage et plaintes périphériques RJ 45.
Voir plus

Référence: 38_0365
Honoraires d'agence de 4.5% à la charge de l'acquéreur

Prêt immobilier

Vous souhaitez connaître votre capacité d’emprunt et trouver le meilleur crédit immobilier ?
Réaliser une simulation gratuite

Commerce à VIRIVILLE
Commerce à VIRIVILLE
Commerce à VIRIVILLE
Commerce à VIRIVILLE
Commerce à VIRIVILLE
Ce site est protégé par reCAPTCHA la Politique de confidentialité et les Conditions d’utilisation de Google s’appliquent.
Obtenir un prêt immobilier au meilleur taux ?

En poursuivant votre navigation sans modifier vos paramètres, vous acceptez l'utilisation de cookies susceptibles de réaliser des statistiques de visite. Cliquez ici pour plus d'informations