Bénéficiez des services de nos partenaires locaux soigneusement sélectionnés
pour vous accompagner dans votre parcours d'achat immobilier

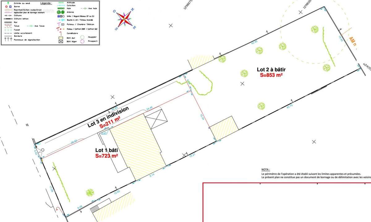
Terrain 853m² à pornichet

— Pornichet 44380 —
414 000 €
853 m²

Nos partenaires locaux
Quartier bonne source, une belle parcelle d'environ 850 m2. LOT 2 sur le plan
Non viabilisé. Au calme en fond de parcelle. Exposition SUD. Cabanon cadastré
Zone Uba4, emprise au sol possible 50% de l'unité foncière.
Situation parfaite : 800 m de la plage de bonne source, 1000 m du surpermarché, 2500 m du marché. Le lot 1 fait l'objet d'une autre vente mais une offre globale s'étudie.
Plus d'info, contactez moi au [Coordonnées masquées]

Honoraires inclus de 3.5% TTC à la charge de l'acquéreur. Prix hors honoraires 400 000 €. Les informations sur les risques auxquels ce bien est exposé sont disponibles sur le site Géorisques : georisques.gouv.fr.

Votre conseiller MATT IMMO CONSEIL : Fréderic LECOINTE
Agent commercial (Entreprise individuelle)
RSAC 2021AC00174
Voir plus

Référence: VT095-MATTIMMO
Honoraires d'agence de 3.5% à la charge de l'acquéreur
Barème des honoraires

Prêt immobilier

Vous souhaitez connaître votre capacité d’emprunt et trouver le meilleur crédit immobilier ?
Réaliser une simulation gratuite

Terrain à PORNICHET
Terrain à PORNICHET
Terrain à PORNICHET
Ce site est protégé par reCAPTCHA la Politique de confidentialité et les Conditions d’utilisation de Google s’appliquent.
Obtenir un prêt immobilier au meilleur taux ?

En poursuivant votre navigation sans modifier vos paramètres, vous acceptez l'utilisation de cookies susceptibles de réaliser des statistiques de visite. Cliquez ici pour plus d'informations