Chassieu terrain viabilisé rare à bâtir libre constructeur 459m2

— Chassieu 69680 —
279 000 €
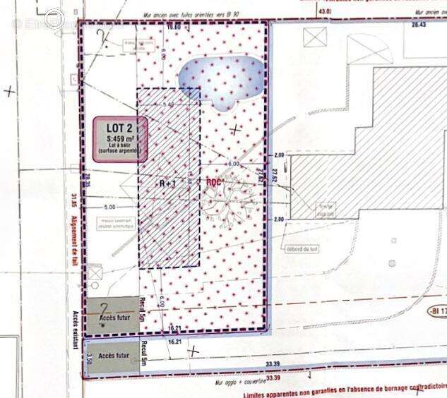
459 m²

Chassieu terrain viabilisé rare à bâtir libre constructeur 459M2

Exclusivité à la vente commune de Chassieu ! Découvrez ce terrain plat de 459 m², hors lotissement, entièrement viabilisé (eau, électricité, tout-à-l'égout, télécom), situé dans un secteur agréable, à proximité du centre de Chassieu.

Hors lotissement – Libre constructeur
Zone URi2b : CES (emprise au sol) 30 % – Coefficient de pleine terre : 30 %
Possibilité de construction R+1, surface total jusqu'à 258 m²
Division cadastrale réalisée – Bornage à prévoir
Piscine existante retirée, terrain compacté (mai 2024)

Projets envisageables :
- Maison de plain-pied de 100 à 110 m²
- Maison à étage

Projection d'une maison de 127 m² habitables, accompagnée d'un garage de 22,7 m², réalisée par l'ATELIER MCA CONSTRUCTEUR à Lyon.

Les + du terrain :

- Emplacement recherché (proximité immédiate école, commodités, Golf, grands axes routiers...).
- Projet de vie idéal : Environnement calme, hors lotissement, pas de charges de copropriétés.
- Terrain viabilisé et plat.

Me contacter pour davantage de renseignements.

Cette annonce référence 307663 vous est présentée par votre agent commercial BSK Immobilier VIRGINIE GRULLINI (EI) immatriculé au RSAC de LYON-3E-ARRONDISSEMENT (69003) sous le numéro 9512[Coordonnées masquées].

Prix du bien : 279 000,00 €
Les honoraires d'agence sont à la charge du vendeur.

Les informations sur les risques auxquels ce bien est exposé sont disponibles sur le site Géorisques : www.georisques.gouv.fr
Voir plus

Référence: 307663
Honoraires à la charge du vendeur.

Prêt immobilier

Vous souhaitez connaître votre capacité d’emprunt et trouver le meilleur crédit immobilier ?
Réaliser une simulation gratuite

Terrain à CHASSIEU
Terrain à CHASSIEU
Terrain à CHASSIEU
Terrain à CHASSIEU
Terrain à CHASSIEU
Terrain à CHASSIEU
Ce site est protégé par reCAPTCHA la Politique de confidentialité et les Conditions d’utilisation de Google s’appliquent.
Obtenir un prêt immobilier au meilleur taux ?

En poursuivant votre navigation sans modifier vos paramètres, vous acceptez l'utilisation de cookies susceptibles de réaliser des statistiques de visite. Cliquez ici pour plus d'informations