Bénéficiez des services de nos partenaires locaux soigneusement sélectionnés
pour vous accompagner dans votre parcours d'achat immobilier

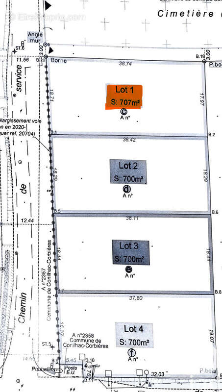
Terrain 700m² à conilhac-corbieres

— Conilhac-Corbieres 11200 —
80 000 €
700 m²

Nos partenaires locaux
Iad France - Ingrid Deroo vous propose : En exclusivité - Terrain constructible à Conilhac-Corbières

Située dans un quartier résidentiel calme de Conilhac-Corbières, cette parcelle plate de 700 m² (lot n°1), issue d'une division parcellaire, constitue une belle opportunité pour votre projet de construction.

Atouts majeurs :
- Terrain viabilisé (eau + électricité).
- Accès autoroute à seulement 5 min en voiture.
- À 2 min en voiture de la zone commerciale de Lézignan-Corbières : Bricomarché, Zeeman, Action, Intermarché, Carrefour, boulangerie, boucherie etc...
- À 2 min à pied seulement de la crèche fraichement construite et de l'école.
- Proche des commodités : restaurant, city stade et épicerie du village.
- Environnement agréable et familial
- En limite arrière, une parcelle destinée à rester en espaces verts, assurant vue dégagée et tranquillité durable

Idéal pour une résidence principale ou un investissement locatif.

Une présentation par un clip vidéo est disponible pour ce bien.
Ce clip est visible directement sur certains sites immobiliers où l'annonce est diffusée, ou sur simple demande.

N'hésitez pas à me contacter pour plus d'informations ou pour organiser une visite.

Honoraires d'agence à la charge du vendeur.
Bien non soumis au DPE. Les informations sur les risques auxquels ce bien est exposé, y compris l'obligation légale de débroussaillement, sont disponibles sur le site Géorisques : http://www.georisques.gouv.fr.
La présente annonce immobilière a été rédigée sous la responsabilité éditoriale de Mme Ingrid Deroo mandataire indépendant en immobilier (sans détention de fonds), agent commercial de la SAS I@D France immatriculé au RSAC de Narbonne sous le numéro 832530299, titulaire de la carte de démarchage immobilier pour le compte de la société I@D France SAS.
Informations LOI ALUR :
Honoraires charge vendeur. (gedeon_6727_31536999)
Voir plus

Référence: 1802192
Honoraires à la charge du vendeur.

Prêt immobilier

Vous souhaitez connaître votre capacité d’emprunt et trouver le meilleur crédit immobilier ?
Réaliser une simulation gratuite

Photo 1 - Terrain à CONILHAC-CORBIERES
Photo 1
Photo 2 - Terrain à CONILHAC-CORBIERES
Photo 2
Ce site est protégé par reCAPTCHA la Politique de confidentialité et les Conditions d’utilisation de Google s’appliquent.
Obtenir un prêt immobilier au meilleur taux ?

En poursuivant votre navigation sans modifier vos paramètres, vous acceptez l'utilisation de cookies susceptibles de réaliser des statistiques de visite. Cliquez ici pour plus d'informations