Bénéficiez des services de nos partenaires locaux soigneusement sélectionnés
pour vous accompagner dans votre parcours d'achat immobilier

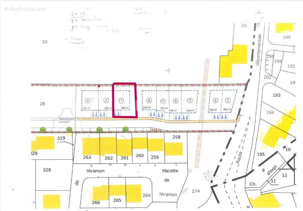
Terrain constructible de 325 m² à los masos – opportunité rare !

— Prades 66500 —
75 000 €
325 m²

Nos partenaires locaux
Terrain constructible de 325 m² à Los Masos – Opportunité rare !
Situé sur la charmante commune de Los Masos, à seulement quelques minutes de Prades, découvrez ce beau terrain constructible de 325 m² en 3 faces, idéal pour concrétiser votre projet de maison.
Le terrain, plat et bien exposé, offre un cadre paisible et verdoyant, avec une vue dégagée sur les montagnes du Canigou. L'environnement est résidentiel et calme, parfait pour une vie de famille ou une résidence secondaire.

Caractéristiques :
Superficie : 325 m²
Terrain viabilisé
Libre de constructeur

Proximité : écoles, commerces et services

Ce terrain offre un excellent rapport qualité / prix sur le secteur, avec un potentiel de construction intéressant dans un cadre naturel et recherché.

Prix : 75000 euros
Contactez-nous dès aujourd'hui pour plus d'informations ou pour organiser une visite ! Maxime O7 44 87 47 57

Cette annonce référence 310234 vous est présentée par votre agent commercial BSK Immobilier MAXIME DEREY (EI) immatriculé au RSAC de PERPIGNAN (66000) sous le numéro 53288790800020.

Prix du bien : 75 000,00 €
Les honoraires d'agence sont à la charge du vendeur.

Les informations sur les risques auxquels ce bien est exposé sont disponibles sur le site Géorisques : www.georisques.gouv.fr
Voir plus

Référence: 310234
Honoraires à la charge du vendeur.

Prêt immobilier

Vous souhaitez connaître votre capacité d’emprunt et trouver le meilleur crédit immobilier ?
Réaliser une simulation gratuite

Terrain à PRADES
Terrain à PRADES
Terrain à PRADES
Terrain à PRADES
Terrain à PRADES
Ce site est protégé par reCAPTCHA la Politique de confidentialité et les Conditions d’utilisation de Google s’appliquent.
Obtenir un prêt immobilier au meilleur taux ?

En poursuivant votre navigation sans modifier vos paramètres, vous acceptez l'utilisation de cookies susceptibles de réaliser des statistiques de visite. Cliquez ici pour plus d'informations