Terrain 946m² à les loges-marchis

— Les Loges-Marchis 50600 —
32 500 €
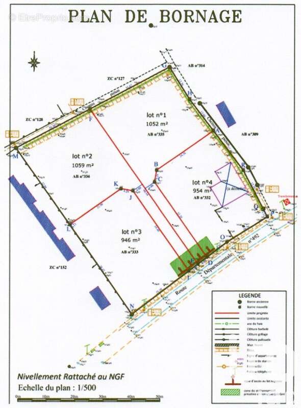
946 m²

Iad France - Sophie Belloir vous propose : LES LOGES-MARCHIS (50600).

- Viabilisé hors électrité.
- Libre de tout constructeur
- Belle surface de terrain (RARE).

En sortie du bourg, dans un secteur résidentiel, face à une belle étendue de verdure dans une commune en pleine expansion. 5 minutes à pied de l'école primaire et à moins de 5 minutes en voiture de Saint-Hilaire-Du-Harcouët, de ses commerces, écoles, lycées, services de soins et loisirs. Aux portes de Bretagnne, à demie heure du Mont Saint Michel.

Lot n°3 / 4 = 946 m² environ.
Terrain à bâtir en lot avant.
Si vous avez des acquéreurs intéressés par ce bien, n'hésitez pas à me contacter. Je serai ravie de collaborer avec vous dans des conditions avantageuses pour tous !


Honoraires d'agence à la charge du vendeur.
Bien non soumis au DPE. Les informations sur les risques auxquels ce bien est exposé, y compris l'obligation légale de débroussaillement, sont disponibles sur le site Géorisques : http://www.georisques.gouv.fr.
La présente annonce immobilière a été rédigée sous la responsabilité éditoriale de Mme Sophie Belloir mandataire indépendant en immobilier (sans détention de fonds), agent commercial de la SAS I@D France immatriculé au RSAC de COUTANCES sous le numéro 918038118, titulaire de la carte de démarchage immobilier pour le compte de la société I@D France SAS.
Informations LOI ALUR :
Honoraires charge vendeur. (gedeon_6727_32195399)
Voir plus

Référence: 1601605
Honoraires à la charge du vendeur.

Prêt immobilier

Vous souhaitez connaître votre capacité d’emprunt et trouver le meilleur crédit immobilier ?
Réaliser une simulation gratuite

Photo 1 - Terrain à LES LOGES-MARCHIS
Photo 1
Photo 2 - Terrain à LES LOGES-MARCHIS
Photo 2
Photo 3 - Terrain à LES LOGES-MARCHIS
Photo 3
Photo 4 - Terrain à LES LOGES-MARCHIS
Photo 4
Photo 5 - Terrain à LES LOGES-MARCHIS
Photo 5
Ce site est protégé par reCAPTCHA la Politique de confidentialité et les Conditions d’utilisation de Google s’appliquent.
Obtenir un prêt immobilier au meilleur taux ?

En poursuivant votre navigation sans modifier vos paramètres, vous acceptez l'utilisation de cookies susceptibles de réaliser des statistiques de visite. Cliquez ici pour plus d'informations