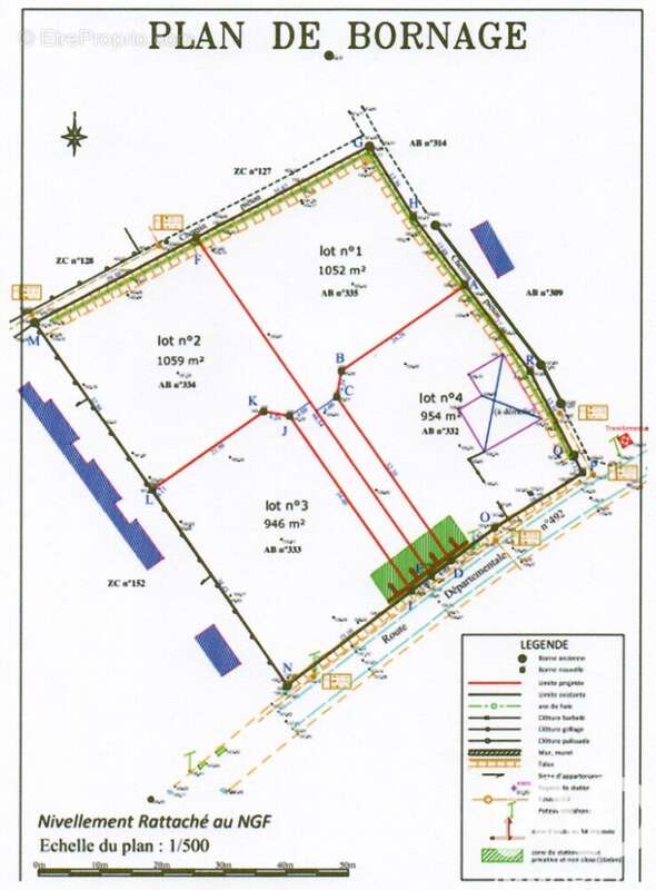
Terrain 1052m² à les loges-marchis

— Les Loges-Marchis 50600 —
34 600 €
1 052 m²

Iad France - Sophie Belloir vous propose : TERRAIN constructible à saisir !

Vue dégagée à proximité de l'école et du transport scolaire, axe Fougères / Saint-Hilaire-du-Harcouët.
Découvrez ce superbe terrain constructible de 1052 m², idéalement situé dans un environnement calme et verdoyant, au cOEur des Loges-Marchis. Une opportunité parfaite pour réaliser votre projet de construction dans un cadre serein et recherché.

- Surface : 1052 m²
- Viabilisation : eau, communication, assainissement...hors électricité,
- Environnement : secteur résidentiel paisible
- Terrain bien proportionné, idéal pour une maison lumineuse
- Proximité immédiate des commerces, écoles et axes routiers
- Un prix attractif pour un terrain rare sur ce secteur dynamique du Sud-Manche.
- Belle superficie
- Cadre naturel et calme
- Accès facile et emplacement recherché
- Idéal pour une construction personnalisée
- Libre de tout constructeur
- Belle surface de terrain (RARE).
- Libre de constructeur ! . Contactez-moi ! .

Honoraires d'agence à la charge du vendeur.
Bien non soumis au DPE. Les informations sur les risques auxquels ce bien est exposé, y compris l'obligation légale de débroussaillement, sont disponibles sur le site Géorisques : http://www.georisques.gouv.fr.
La présente annonce immobilière a été rédigée sous la responsabilité éditoriale de Mme Sophie Belloir mandataire indépendant en immobilier (sans détention de fonds), agent commercial de la SAS I@D France immatriculé au RSAC de COUTANCES sous le numéro 918038118, titulaire de la carte de démarchage immobilier pour le compte de la société I@D France SAS.
Informations LOI ALUR :
Honoraires charge vendeur. (gedeon_6727_32203422)
Voir plus

Référence: 1892681
Honoraires à la charge du vendeur.

Prêt immobilier

Vous souhaitez connaître votre capacité d’emprunt et trouver le meilleur crédit immobilier ?
Réaliser une simulation gratuite

Photo 1 - Terrain à LES LOGES-MARCHIS
Photo 1
Photo 2 - Terrain à LES LOGES-MARCHIS
Photo 2
Photo 3 - Terrain à LES LOGES-MARCHIS
Photo 3
Ce site est protégé par reCAPTCHA la Politique de confidentialité et les Conditions d’utilisation de Google s’appliquent.
Obtenir un prêt immobilier au meilleur taux ?

En poursuivant votre navigation sans modifier vos paramètres, vous acceptez l'utilisation de cookies susceptibles de réaliser des statistiques de visite. Cliquez ici pour plus d'informations