Ensemble de 3 terrains constructibles.

— Fumel 47500 —
29 000 €
1 937 m²
jardin




3 Terrains pour seulement 29 000 €.


Sur les hauteurs de Fumel à proximité de l’hôpital et du lycée et dans une impasse.


À quelques minutes des commerces également de sa gare SNCF.


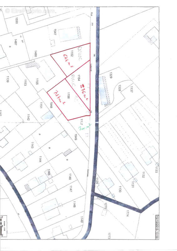
Venez découvrir cet ensemble de trois terrains constructibles d’une surface totale de 1937 m2, l’ensemble est vendu en lot.


Vous disposez d’un premier terrain de 644 m2, un second de 576 m2, et un troisième de 717 m2.


Les terrains sont actuellement tous bornés. L’étude de sol a été faite. Vous disposez en limite de propriété de l’eau, de l’électricité, ainsi que du tout-à-l’égout sur place.


À découvrir très rapidement.





Voir plus

Référence: 101549
Honoraires à la charge du vendeur.
Barème des honoraires

Prêt immobilier

Vous souhaitez connaître votre capacité d’emprunt et trouver le meilleur crédit immobilier ?
Réaliser une simulation gratuite

Terrain à FUMEL
Terrain à FUMEL
Terrain à FUMEL
Terrain à FUMEL
Terrain à FUMEL
Terrain à FUMEL
Terrain à FUMEL
Ce site est protégé par reCAPTCHA la Politique de confidentialité et les Conditions d’utilisation de Google s’appliquent.
Obtenir un prêt immobilier au meilleur taux ?

En poursuivant votre navigation sans modifier vos paramètres, vous acceptez l'utilisation de cookies susceptibles de réaliser des statistiques de visite. Cliquez ici pour plus d'informations