Bénéficiez des services de nos partenaires locaux soigneusement sélectionnés
pour vous accompagner dans votre parcours d'achat immobilier

Terrain constructible rabastens

— Rabastens 81800 —
77 000 €
589 m²

Nos partenaires locaux
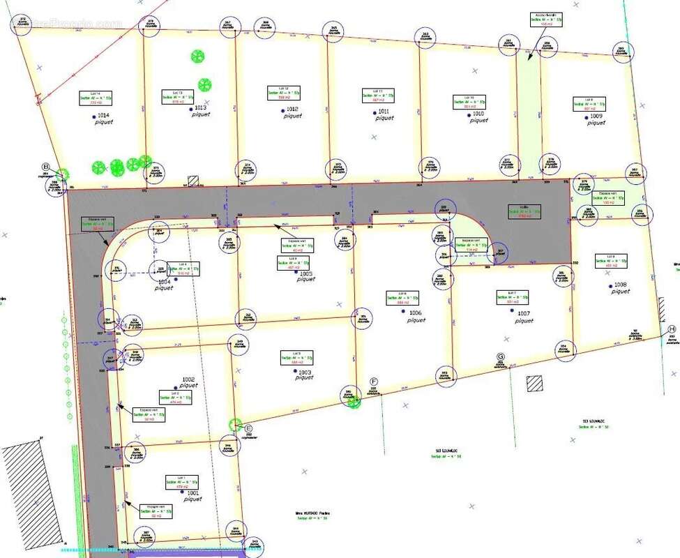
RABASTENS, lotissement "La Rhode" comprenant 14 lots viabilisés : eau, électricité, télécom, tout à l'égout.

A prévoir à la charge acquéreur :
- un puisard pour gestion des eaux pluviales
- participation financière à l'assainissement collectif : 2200 € de 0 à 100m² + 22€ par m² supplémentaire
- taxe d'aménagement : commune 5%, département 1.80%, redevance archéologique 0.40%
Surface plancher maximum par lot = 200m²
Emprise au sol = 30% de la surface du lot
A 10min de St Sulpice.

Terrains disponibles:
Lot 3 : 589m² - 77 000 €
Voir plus

Référence: 86120447
Barème des honoraires

Prêt immobilier

Vous souhaitez connaître votre capacité d’emprunt et trouver le meilleur crédit immobilier ?
Réaliser une simulation gratuite

Terrain à RABASTENS
Terrain à RABASTENS
Ce site est protégé par reCAPTCHA la Politique de confidentialité et les Conditions d’utilisation de Google s’appliquent.
Obtenir un prêt immobilier au meilleur taux ?

En poursuivant votre navigation sans modifier vos paramètres, vous acceptez l'utilisation de cookies susceptibles de réaliser des statistiques de visite. Cliquez ici pour plus d'informations