Bénéficiez des services de nos partenaires locaux soigneusement sélectionnés
pour vous accompagner dans votre parcours d'achat immobilier

Locaux pmr erp

— Paris-18e 75018 —
609 000 €
169 m²

Nos partenaires locaux
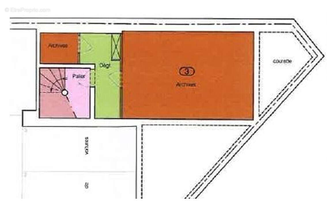
Quartier Clignancourt, dans un immeuble en pierre de taille bien entretenu, Consult'im vous propose en exclusivité un local commercial à vendre de 169m² (145m² carrez au RDC et 24m² au sous-sol)

CARACTERISTIQUES DE L'OFFRE

Linéaire vitrine de 6 mètres 

Vitrine entièrement rénovée 

Rideau électrique intérieur 

RDC : 144,82m² carrez

Sous-sol accessible par un large escalier : 23,97m² pouvant servir de salle de réunion ou réserve 

Double porte permettant de rendre les locaux PMR 

Triple accès sur rue et via les parties communes permettant de rendre la surface ERP 

Facilité d'aménagement (aucune contrainte porteuse)

Calme sur cour 

Chauffage  éléctrique 

Cuisine 

Double sanitaires

Cave de 3m² environ

CONDITIONS FINANCIERES

Prix de vente :  609 000 € Net vendeur

Honoraires : 5% HT  du prix Net vendeur HD à la charge du preneur

Charges copropriété : 1 500€/trim (à titre indicatif) 
Voir plus

Référence: 10316431

Prêt immobilier

Vous souhaitez connaître votre capacité d’emprunt et trouver le meilleur crédit immobilier ?
Réaliser une simulation gratuite

Commerce à PARIS-18E
Commerce à PARIS-18E
Commerce à PARIS-18E
Commerce à PARIS-18E
Commerce à PARIS-18E
Commerce à PARIS-18E
Commerce à PARIS-18E
Commerce à PARIS-18E
Commerce à PARIS-18E
Ce site est protégé par reCAPTCHA la Politique de confidentialité et les Conditions d’utilisation de Google s’appliquent.
Obtenir un prêt immobilier au meilleur taux ?

En poursuivant votre navigation sans modifier vos paramètres, vous acceptez l'utilisation de cookies susceptibles de réaliser des statistiques de visite. Cliquez ici pour plus d'informations