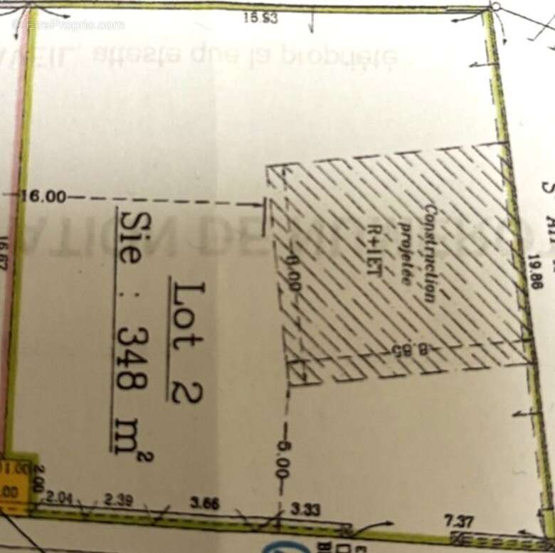
Terrain 348m² à draveil

— Draveil 91210 —
130 000 €
348 m²

91210 DRAVEIL : Terrain constructible de 348 m² – Un cadre idéal pour votre projet

Découvrez ce terrain de 348 m², parfaitement plat et entièrement clôturé, situé dans un environnement calme et agréable, le quartier Draveil Village.

Terrain non viabilisé, mais les raccordements pour la viabilisation et l'assainissement se trouvent directement dans la rue, vous permettant d'avancer sereinement dans vos démarches.

La parcelle comprend un garage de 67 m² à démolir, offrant un espace totalement libérable pour accueillir votre future construction.

Sur cette parcelle, possibilité d'y édifier une maison en R+1+combles, offrant de beaux volumes et des aménagements adaptés à tout style de vie.

Les atouts :

Parcelle plate
Clôturée
Raccordements de viabilisation et assainissement en bordure de rue
Construction possible en R+1 + combles
Emplacement agréable, offrant tranquillité et praticité

Pour plus d'informations ou pour organiser une visite, je me tiens à votre disposition.
Les informations sur les risques auxquels ce bien est exposé sont disponibles sur le site Georisque : georisques. gouv. fr
Grégory Cialec - EI - est Agent Commercial mandataire en immobilier, immatriculé au Registre Spécial des Agents Commerciaux du Tribunal de Commerce de Créteil sous le n°442405692.
Siège social du mandant : effiCity, 48 avenue de Villiers - 75017 PARIS - Société par Actions Simplifiée, société au capital de 132 373,05 euros, immatriculée au RCS Paris 497 617 746 et titulaire de la Carte professionnelle CPI 75[Coordonnées masquées]02 025 - CCI Paris IDF - Caisse de Garantie : GALIAN Assurances 89 rue de la Boétie 75008 Paris
Voir plus

Référence: 200957
Honoraires à la charge du vendeur.
Barème des honoraires

Prêt immobilier

Vous souhaitez connaître votre capacité d’emprunt et trouver le meilleur crédit immobilier ?
Réaliser une simulation gratuite

Terrain à DRAVEIL
Terrain à DRAVEIL
Terrain à DRAVEIL
Terrain à DRAVEIL
Terrain à DRAVEIL
Terrain à DRAVEIL
Ce site est protégé par reCAPTCHA la Politique de confidentialité et les Conditions d’utilisation de Google s’appliquent.
Obtenir un prêt immobilier au meilleur taux ?

En poursuivant votre navigation sans modifier vos paramètres, vous acceptez l'utilisation de cookies susceptibles de réaliser des statistiques de visite. Cliquez ici pour plus d'informations