Vente terrain brenelle(02220) 76 000ᅵ

— Brenelle 02220 —
76 000 €
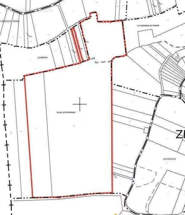
110 312 m²

Forêt à vendre braine l'agence arthurimmo vous présente cette superbe parcelle forestière d'une superficie de 11 hectares 3 ares 12 centiares, idéalement située à deux pas de braine. la parcelle a récemment été exploitée et offre ainsi une belle opportunité de reboisement. atouts de la propriété - superficie d'un seul tenant - accès facile - environnement calme À visiter rapidement !!

Référence: 2741HP

Prêt immobilier

Vous souhaitez connaître votre capacité d’emprunt et trouver le meilleur crédit immobilier ?
Réaliser une simulation gratuite

Terrain à BRENELLE
Terrain à BRENELLE
Terrain à BRENELLE
Ce site est protégé par reCAPTCHA la Politique de confidentialité et les Conditions d’utilisation de Google s’appliquent.
Obtenir un prêt immobilier au meilleur taux ?

En poursuivant votre navigation sans modifier vos paramètres, vous acceptez l'utilisation de cookies susceptibles de réaliser des statistiques de visite. Cliquez ici pour plus d'informations