Bénéficiez des services de nos partenaires locaux soigneusement sélectionnés
pour vous accompagner dans votre parcours d'achat immobilier

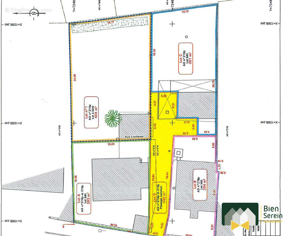
Terrain 404m² à le coudray

— Le Coudray 28630 —
100 000 €
404 m²

Nos partenaires locaux
À vendre : Terrain constructible de 404 m², à viabiliser, plat et clos, situé à LE COUDRAY!

Situé sur la commune très appréciée de LE COUDRAY, ce terrain offre une excellente localisation. Il est à seulement à moins de deux km du centre ville de CHARTRES.

Pour les familles, l'école maternelle et élémentaire sont à proximité et vous trouverez également toutes les commodités au centre ville, ainsi qu'un Intermarché à 600m pour vos besoins quotidiens.

Le terrain présente une façade de 16m, offrant ainsi de bonnes possibilités d'aménagement pour votre projet de construction. Il est libre de constructeur, vous laissant ainsi une grande liberté dans la conception de votre futur logement.

Dans un cadre familial et très agréable, ce terrain est idéal pour réaliser votre projet de construction personnalisé.
Le plus : un garage est déjà bâti sur le terrain

Contactez votre agent au Noeud Pap' dès maintenant pour organiser une visite !

Honoraires à la charge du vendeur. Les informations sur les risques auxquels ce bien est exposé sont disponibles sur le site Géorisques : georisques.gouv.fr.

Votre conseiller Bien Serein immobilier : Morgan GOHIER
Agent commercial (Entreprise individuelle)
RSAC 910254119
Voir plus

Référence: 807-BIENSEREIN28
Honoraires à la charge du vendeur.
Barème des honoraires

Prêt immobilier

Vous souhaitez connaître votre capacité d’emprunt et trouver le meilleur crédit immobilier ?
Réaliser une simulation gratuite

Terrain à LE COUDRAY
Terrain à LE COUDRAY
Terrain à LE COUDRAY
Ce site est protégé par reCAPTCHA la Politique de confidentialité et les Conditions d’utilisation de Google s’appliquent.
Obtenir un prêt immobilier au meilleur taux ?

En poursuivant votre navigation sans modifier vos paramètres, vous acceptez l'utilisation de cookies susceptibles de réaliser des statistiques de visite. Cliquez ici pour plus d'informations