Bénéficiez des services de nos partenaires locaux soigneusement sélectionnés
pour vous accompagner dans votre parcours d'achat immobilier

Terrain 4700m² à fruges

— Fruges 62310 —
90 000 €
4 700 m²

Nos partenaires locaux
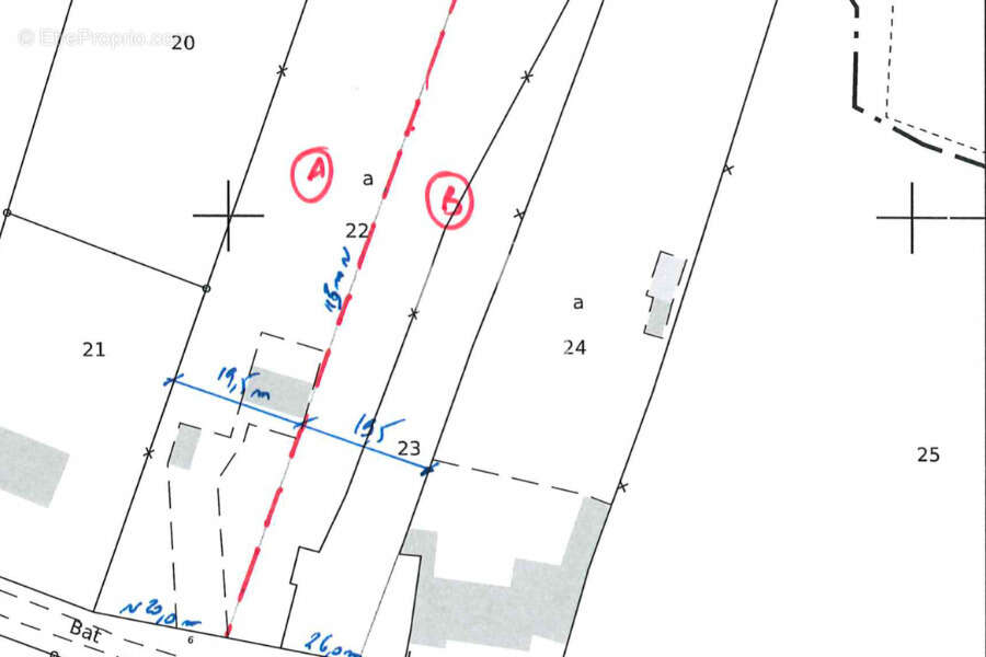
Iad France - Hélène Leclerc vous propose : EN EXCLUSIVITE : Terrain viabilisé de 4700 m² environ, à 45 min du Touquet Paris Plage, 30 min de Saint Pol sur Ternoise, 20min d'Hesdin.
Belle parcelle avec chalet de 50 m² environ (possibilité de le retirer) raccordé en eau et électricité, arborée et clôturée.
Une partie constructible et une partie agricole.
Possibilité de diviser la parcelle - cf photo partie A avec le châlet et partie B
Libre de tout constructeur.

Honoraires d'agence à la charge du vendeur.
Bien non soumis au DPE. Les informations sur les risques auxquels ce bien est exposé, y compris l'obligation légale de débroussaillement, sont disponibles sur le site Géorisques : http://www.georisques.gouv.fr.
La présente annonce immobilière a été rédigée sous la responsabilité éditoriale de Mme Hélène Leclerc mandataire indépendant en immobilier (sans détention de fonds), agent commercial de la SAS I@D France immatriculé au RSAC de ARRAS sous le numéro 897723409, titulaire de la carte de démarchage immobilier pour le compte de la société I@D France SAS.
Informations LOI ALUR :
Honoraires charge vendeur. (gedeon_6727_32326254)
Voir plus

Référence: 1753394
Honoraires à la charge du vendeur.

Prêt immobilier

Vous souhaitez connaître votre capacité d’emprunt et trouver le meilleur crédit immobilier ?
Réaliser une simulation gratuite

Photo 1 - Terrain à FRUGES
Photo 1
Photo 2 - Terrain à FRUGES
Photo 2
Photo 3 - Terrain à FRUGES
Photo 3
Photo 4 - Terrain à FRUGES
Photo 4
Photo 5 - Terrain à FRUGES
Photo 5
Photo 6 - Terrain à FRUGES
Photo 6
Photo 7 - Terrain à FRUGES
Photo 7
Ce site est protégé par reCAPTCHA la Politique de confidentialité et les Conditions d’utilisation de Google s’appliquent.
Obtenir un prêt immobilier au meilleur taux ?

En poursuivant votre navigation sans modifier vos paramètres, vous acceptez l'utilisation de cookies susceptibles de réaliser des statistiques de visite. Cliquez ici pour plus d'informations